direct naar inhoud van Motivering
Plan: TAM-omgevingsplan hoofdstuk 22s Oude Heerweg 23 Blitterswijck
Status: ontwerp
Plantype: bestemmingsplan
IMRO-idn: NL.IMRO.0984.TAM25015-ON01

Motivering

Hoofdstuk 1 AANLEIDING EN DOEL

1.1 Aanleiding

Initiatiefnemer heeft het voornemen om de bestaande bebouwing van het voormalige garagebedrijf aan de Oude Heerweg 23 te Blitterswijck, kadastraal bekend als gemeente Wanssum sectie E nummer 576, te slopen en hier 6 nieuwe woningen te realiseren.

De gemeente Venray wil aan deze ruimtelijke ontwikkeling in beginsel en onder voorwaarden medewerking verlenen, omdat het ruimtelijk gezien een wenselijke en acceptabele ontwikkeling is. Wel zullen er onderzoeken plaats moeten vinden om onder andere de bodemkwaliteit vast te stellen, verkeerslawaai te beschouwen en het schadelijke gebruik van gewasbeschermingsmiddelen uit te sluiten.

Om ook de omliggende agrarische gronden een passende aanduiding 'spuitvrije zone' te kunnen geven, dient voor deze ontwikkeling een wijziging van het omgevingsplan te worden vastgesteld.

1.2 Het plangebied

Het te ontwikkelen deel van het plangebied aan de Oude Heerweg 23 te Blitterswijck, kadastraal bekend als gemeente Wanssum sectie E nummer576, heeft een oppervlakte van circa 2190 m². Voorzover er ten zuiden van het plangebied gronden binnen 50 m vanuit de nieuwe woonfunctie liggen welke gronden een agrarische functie hebben, worden deze gronden meegenomen in onderhavige omgevingsplanwijziging, zodat op deze gronden de aanduiding 'milieuzone - spuitvrije zone' kan worden gelegd.

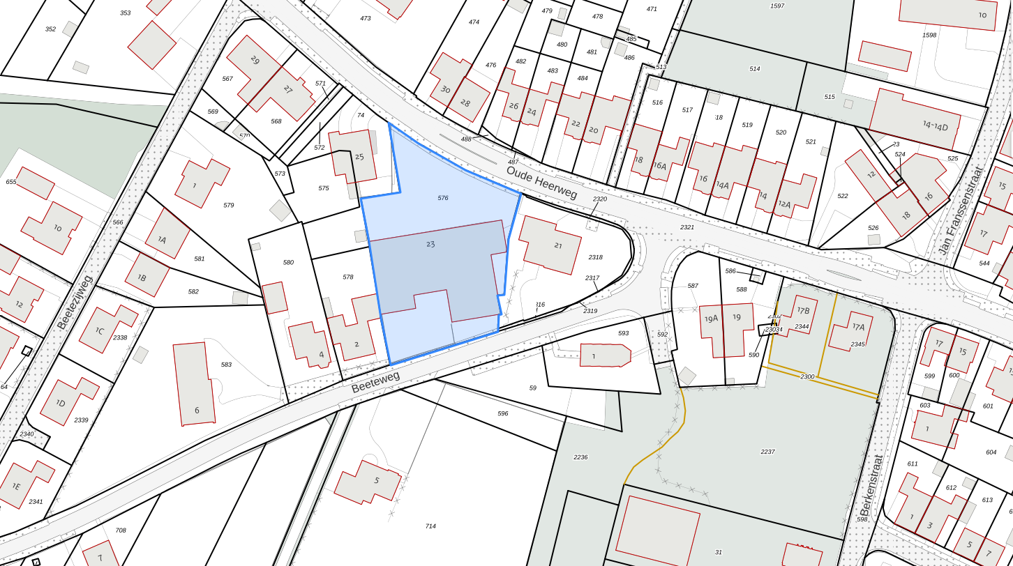
Op onderstaande luchtfoto en omgevingskaart is de projectlocatie waar de nieuwe woningen zullen worden gerealiseerd, weergegeven:

afbeelding "i_NL.IMRO.0984.TAM25015-ON01_0002.png"

Luchtfoto

afbeelding "i_NL.IMRO.0984.TAM25015-ON01_0003.png"

Omgevingskaart

1.3 Het omgevingsplan

Voor de delen van het plangebied vigeren de volgende (tijdelijke delen van het) omgevingsplan:

Naam omgevingsplan   Functie en aanduidingen   Vaststelling Raad  
Berkenstraat-Oude Heerweg Blitterswijck   - Bedrijf
- Waarde - Archeologie 2 en 4  
30 maart 2021  
Blitterswijck   - Wonen
- Agrarisch
- Waarde - Arceologie 2  
27 juni 2019  
Buitengebied Oost geneemte Venray   - Agrarisch met waarden- Waarde - Archeologie 2
- Waarde - Esgronden
- reconstructiewetzone - verwevingsgebied  
18 juni 2013  
Buitengebied Venray, Herziening regels Ruimtelijk Kwaliteitskader     31 oktober 2023  
TAM-voorbereidingsbesluit voorbeschermingsregels statische opslag Landelijk Gebied     15 april 2025  
TAM-voorbereidingsbesluit voorbeschermingsregels toeristisch-recreatief nachtverblijf     14 juli 2025  

afbeelding "i_NL.IMRO.0984.TAM25015-ON01_0004.png"

afbeelding "i_NL.IMRO.0984.TAM25015-ON01_0005.png"

afbeelding "i_NL.IMRO.0984.TAM25015-ON01_0006.png"

Uitsnede vigerende omgevingsplannen

 

Binnen de functie Bedrijf is het realiseren van woningen niet toegestaan. Het vigerende omgevingsplan kent hiertoe wel een wijzigingsbevoegdhied ten behoeve van de realisatie van 6 woningen, echter vanwege de inwerkingtreding van de Omgevingswet kan hiervan geen gebruik meer worden gemaakt. Ook om op de omliggende agrarische gronden een spuitvrije zone te kunnen leggen, dient voor deze ontwikkeling een wijziging van het omgevingsplan te worden vastgesteld.

1.4 Leeswijzer

Na dit inleidende hoofdstuk vormen de daaropvolgende hoofdstukken de verantwoording van de activiteiten en functies die mogelijk wordt gemaakt. Hoofdstuk 2 bevat een beschrijving en analyse van de huidige ruimtelijk- functionele situatie. In hoofdstuk 3 wordt ingegaan op de gewenste situatie, de beoogde ontwikkeling. In hoofdstuk 4 wordt het Rijks-, provinciaal-, regionaal- en gemeentelijk beleid beschreven. In hoofdstuk 5 wordt inzicht gegeven in diverse planologische aspecten die relevant zijn voor de fysieke leefomgeving. Hoofdstuk 6 gaat in op de vraag of er sprake is van een beperkingengebied. In hoofdstuk 7 komt de economische en maatschappelijke uitvoerbaarheid aan de orde, waarna de conclusie in hoofdstuk 8 volgt.

Hoofdstuk 2 BESCHRIJVING HUIDIGE SITUATIE

2.1 Ruimtelijke en functionele structuur

2.1.1 Ruimtelijke structuur

De ruimtelijke hoofdstructuur van Blitterswijck wordt in het algemeen gevormd door:

  • de historische linten;
  • de kasteelmuren;
  • de Maas.

Het dorpscentrum wordt gevormd door het Plein voor de Onze Lieve Vrouwenkerk. De woningbouw in Blitterswijck heeft in eerste instanties plaatsgevonden aan de linten. Latere uitbreidingen hebben voornamelijk plaatsgevonden ten noordwesten en voor een deel ook ten zuiden en zuidwesten van het dorp.

De historische linten spelen nog steeds een grote rol in Blitterswijck. Belangrijke historische linten zijn te herkennen in de Oude Heerweg en de Ooijenseweg. De belangrijkste assen van het dorp zijn de doorgaande wegen vanuit het dorp richting Wanssum (Oude Heerweg), Well (Langstraat) en Broekhuizenvorst (Ooijenseweg). Andere beeldbepalende elementen in het dorp zijn vooral de open plekken die her en der verspreid door het dorp liggen. Deze open plekken zijn vaak in gebruik als agrarische grond of grasland.

De overgang van de kern Blitterswijck naar het buitengebied is divers. Aan de oostkant van het dorp bestaat de begrenzing uit een aantal percelen met fruitbomen en houtwallen, die gedeeltelijk geplant zijn op de oude structuren van het kasteel. Aan de noordzijde van Blitterswijck is het dorp begrensd door een aantal landbouwbedrijven. Aan de west- en noordwestzijde van het dorp is Blitterswijck begrensd door de achterkanten van tuinen en een aantal agrarische bedrijven. Aan de zuidwestzijde is Blitterswijck begrensd door een aantal tuinen, met daarachter een houtwal of bosgebied. Aan de zuidzijde van het dorp wordt Blitterswijck begrensd door het recent ontwikkelde woongebiedje 'Beeteterrein'.

De bebouwing in de omgeving van het plangebied bestaat voornamelijk uit woonbebouwing in de vorm grondgebonden vrijstaande, halfvrijstaande en twee-aaneengebouwde woningen met twee bouwlagen en een kap.

2.1.2 Functionele strcutuur

Het te ontwikkelen deel van het plangebied betreft de huidige vakgarage WeJeBe. In de omgeving van het plangebied is de woonfunctie veruit dominant. Daarnaast zijn er een aantal kleinschalige of aan huis verbonden bedrijven gevestigd in de vorm van bijvoorbeeld een kapsalon en ICT-adviesbureau. Tenslotte bevindt zich aan de zuidzijde van het plangebied een maatschappelijk-religieuze voorziening in de vorm van de Sint Annakapel.

Onderstaand is het huidige beeld van het plangebied weergegeven:

afbeelding "i_NL.IMRO.0984.TAM25015-ON01_0007.png"

afbeelding "i_NL.IMRO.0984.TAM25015-ON01_0008.png"

Zicht vanuit de Beeteweg

afbeelding "i_NL.IMRO.0984.TAM25015-ON01_0009.png"

Zicht vanuit de Oude Heerweg

De omgeving laat zich als volgt schetsen:

afbeelding "i_NL.IMRO.0984.TAM25015-ON01_0010.png"

afbeelding "i_NL.IMRO.0984.TAM25015-ON01_0011.png"

afbeelding "i_NL.IMRO.0984.TAM25015-ON01_0012.png"

afbeelding "i_NL.IMRO.0984.TAM25015-ON01_0013.png"

Hoofdstuk 3 VOORGENOMEN ONTWIKKELING

3.1 Initiatief

Initiatiefnemer heeft het voornemen om de bestaande bebouwing van het voormalige garagebedrijf aan de Oude Heerweg 23 te Blitterswijck, kadastraal bekend als gemeente Wanssum sectie E nummer 576, te slopen en hier 6 nieuwe woningen te realiseren.

In het principebesluit tot medewerking aan dit initiatief is de voorwaarde opgenomen dat de woningen qua goot- en bouwhoogte en bouwmassa dienen aan te sluiten op de bebouwing in de directe omgeving, waardoor de 3 woningen aan de Oude Heerweg hoger kunnen worden dan de woningen aan de Beeteweg.

Aan de Oude Heerweg zullen 3 eensgezinswoningen, waarvan 1 vrijstaand en een tweekapper worden gerealiseerd, welke geschikt zijn voor de doelgroep 'jonge gezinnen'. Aan de Beeteweg worden 3 levensloopbestendige woningen gerealiseerd, waarvan 1 vrijstaand. Deze zijn dus primair bedoeld voor de wat oudere stellen waarvan de kinderen het huis verlaten hebben (60+). Afhankelijk van de bouwkosten worden er eventueel éen of meerdere betaalbare woningen gerealiseerd.

3.2 Stedenbouwkundig

Afgezien van een footprint van de gewenste bebouwing, welke onderstaand is weergegeven, zijn er nog geen tekeningen voor handen van de plattegronden en gevels. Wel duidelijk is dat de bouwmassa's zoveel mogelijk aansluiten op de woningen in de directe omgeving. Dit betekent dat aan de zijde van de Oude Heerweg een goothoogte van 6,5 m maximaal is en aan de zijde van de Beeteweg is een maximale goothoogte van 4,5 m opgenomen op de verbeelding.

Het bouwvlak bevindt zich tussen de voorgevellijnen van de woningen aan de Oude Heerweg en de Beeteweg.

afbeelding "i_NL.IMRO.0984.TAM25015-ON01_0014.png"

Footprint gewenste bebouwing

3.3 Privacy en bezonning

Voor een onaanvaardbare aantasting van privacy bij belendende percelen hoeft niet gevreesd te worden. De situering van de te bouwen woningen ten opzichte van de bestaande woningen is zodanig dat onaanvaardbare inkijk in tuinen niet aannemelijk is.

Door aanplant van leibomen kan op een natuurlijke wijze worden voorkomen dat ter plaatse van eventuele op hoogte aangebrachte raampartijen in de nieuwe woningen over en weer onbelemmerd zicht is op belendende percelen en zou er in alle redelijkheid geen sprake hoeven zijn van 'onaanvaardbare schending van privacy'.

Evenmin is er sprake van onaanvaardbare vermindering van zonlicht, danwel dat als gevolg van de nieuwe woningen de lichtinval in omliggende woningen te beperkt wordt.

Er zijn verder geen dakvlakken van bestaande woningen die substantiële uren van de dag (met name in het vroege voorjaar en late najaar) in de schaduw zullen liggen, waardoor eventuele zonnepanelen of collectoren een verminderde opbrengst zouden kunnen ondervinden.

3.4 Duurzaamheid

De ambities ten aanzien van duurzaamheid in Venray zijn hoog, zoals neergelegd in de Energiestrategie 2030 (zie voor de inhoud van deze strategie paragraaf 4.5.5).

De binnen het projectgebied te realiseren woningen zullen in ieder geval voldoen aan 'BENG'.

In de omgevingsvergunningaanvraag zullen de volgende duurzaamheidsmaatregelen worden meegenomen:

  • de woningen worden niet aangesloten op gas (elektrisch koken);
  • de woningen zullen worden aangesloten op een warmtepomp ter verwarming en koeling van de woning;
  • in de woningen wordt balansventilatie toegepast (warmte-terugwin-installatie);
  • de woningen zullen een substantiële hoeveelheid energie opwekken middels zonnepanelen.
  • de woningen worden zeer goed geïsoleerd en hebben een zeer lage warmtevraag;
  • hergebruik bouwmaterialen van elders en van circulaire isolatiematerialen.

3.5 Groen- en watervoorzieningen

Het plangebied zal als zes reguliere woonpercelen worden ingericht. Hoe de tuinen/erven worden ingericht, is op voorhand nog niet bekend. Doordat de verplichting tot het infiltreren van hemelwater is geborgd in artikel 12.2 van de planregels, wordt gestimuleerd om het verhard afvoerend oppervlak zo klein mogelijk te houden, hetgeen betekent dat eigenaren bewogen worden om te kiezen voor minder erfverharding en meer natuurlijk groen. Natuurlijk groen heeft tot gevolg dat enerzijds het hemelwater rechtstreeks kan infiltreren, maar ook dat hittestress beperkt wordt. Verstening heeft meer hittestress tot gevolg en natuurlijk groen zorgt voor verkoeling van de woning en schaduwplekken in de tuin. Voor de bewoners betekent dit dat er een prettiger leefklimaat bereikt kan worden door vergroening van het erf.

In de planregels is een koppeling gemaakt naar het beleid 'Natuurinclusief bouwen' waardoor vergroening ook afdwingbaar wordt.

3.6 Klimaatadaptatie

Het klimaat verandert en dat proces gaat de komende jaren door. Klimaatverandering heeft effect op de leefomgeving, bijvoorbeeld door de toename van hittestress en de toename van de kans op overstromingen. Er worden verschillende maatregelen genomen om verdere klimaatverandering te voorkomen (mitigatie) of aanpassing om de negatieve gevolgen ervan te beperken (adaptatie).

Mitigatie overstijgt het niveau van onderhavig project. Echter, de meest eenvoudige maatregel voor klimaatadaptatie is het aanleggen van meer groen zoals bomen en planten. Positieve effecten hiervan zijn meer schaduw en daardoor verkoeling en een hogere waardering van de leefomgeving. Ook infiltratie van hemelwater in het plangebied is een maatregel van klimaatadaptatie; hierdoor verdroogt de bodem minder en blijft het water in het gebied.

De gemeente Venray bereidt beleid voor inzake 'natuurinclusief bouwen'. Ieder nieuw bouwproject moet een bijdrage leveren aan biodiversiteitsherstel, een klimaatadaptieve-, gezonde en groene leefomgeving voor zowel mensen, dieren als planten. Natuurinclusief bouwen wil zeggen dat er rekening gehouden wordt met de natuur bij het bouwen en verbouwen van gebouwen. De combinatie van minder verharding (voor het infiltreren van hemelwater) en het toevoegen van beplanting (voor het kunnen verdampen van water op warme momenten) zorgt voor meer balans in de temperatuur.

Omdat het principe van natuurinclusiefbouwen toegankelijk te maken, is gekozen om concrete maatregelen aan te bieden. Concreet betekent dit dat dit beleid in de vergunningvoorschriften of planregels geborgd wordt. Natuurinclusief bouwen en het in stand houden van de toegepaste maatregelen worden geïmplementeerd in de onderbouwing bij vergunningaanvragen van nieuwe (ver)bouw projecten.

Binnen het plangebied zal voorzien worden in hemelwaterinfiltratie en in de aanplant van bomen en struiken; enerzijds als klimaatadatieve maatregel en anderzijds ten behoeve van de kwaliteit van de leefomgeving. In de planregels is tevens een koppeling gemaakt naar dit beleidsdocument waardoor maatregelen ten aanzien van natuurinclusief bouwen ook afdwingbaar worden.

Hoofdstuk 4 BELEID EN REGELGEVING

4.1 Rijksbeleid en Rijksregels

4.1.1 Nationale omgevingsvisie

Met de Nationale omgevingsvisie (NOVI) geeft het Rijk een langetermijnvisie op de toekomst en de ontwikkeling van de leefomgeving in Nederland. Uitgangspunt in de nieuwe aanpak is dat ingrepen in de leefomgeving niet los van elkaar plaatsvinden, maar in samenhang. Om dit te kunnen bewerkstelligen laat het Rijk de inrichting van de fysieke leefomgeving meer over aan de decentrale overheden en komt de gebruiker centraal te staan.

Het Rijk blijft verantwoordelijk voor het systeem van de fysieke leefomgeving. Daarnaast kan een rijksverantwoordelijkheid aan de orde zijn indien:

  • een onderwerp nationale baten en/of lasten heeft en de doorzettingsmacht van provincies en gemeenten overstijgt, bijvoorbeeld het reserveren van ruimte voor militaire activiteiten en het stellen van opgaven in de stedelijke regio's rondom de mainports, brainports, greenports en valleys;
  • over een onderwerp internationale verplichtingen of afspraken zijn aangegaan, bijvoorbeeld het stimuleren van biodiversiteit, duurzame energie, watersysteemherstel of het beschermen van werelderfgoed;
  • een onderwerp provincie- of landsgrensoverschrijdend is een ofwel een hoog afwentelrisico kent ofwel in beheer bij het Rijk is. Bij dit laatste gaat het bijvoorbeeld om de hoofdnetten van weg, spoor, water en energie, maar ook de bescherming van gezondheid van inwoners is op rijksniveau relevant.

Aan de hand van een toekomstperspectief op 2050 brengt de NOVI de langetermijnvisie in beeld. Op nationale belangen wil het Rijk sturen en richting geven. Die komen samen in vier prioriteiten:

  • ruimte voor klimaatadaptatie en energietransitie
  • duurzaam economisch groeipotentieel
  • sterke en gezonde steden en regio's
  • toekomstbestendige ontwikkeling van het landelijk gebied.

In hoofdstuk 4, 5 en 6 van onderhavige motivering worden deze aspecten, voorzover in casu relevant, uitgebreid aan de orde gesteld. Er kan worden gesteld dat onderhavig project dusdanig gering van omvang en impact is dat de rijksbelangen niet in het geding zijn.

4.1.2 Instuctieregels Rijk

De Omgevingswet werkt door in vier algemene maatregelen van bestuur: het Omgevingsbesluit, het Besluit activiteiten leefomgeving , het Besluit bouwwerken leefomgeving en het Besluit kwaliteit leefomgeving. In deze AMvB's staan regels voor het praktisch uitvoeren van de wet.

4.1.2.1 Omgevingsbesluit

Het Omgevingsbesluit richt zich tot alle partijen die in de fysieke leefomgeving actief zijn: burgers, bedrijven en de overheid. Het Omgevingsbesluit regelt in aanvulling op de wet onder meer welk bestuursorgaan het bevoegd gezag is om een omgevingsvergunning te verlenen en welke procedures gelden. Ook regelt dit besluit wat de betrokkenheid is van andere bestuursorganen bij de besluitvorming en een aantal op zichzelf staande onderwerpen, zoals de milieueffectrapportage en financiële bepalingen.

4.1.2.2 Besluit activiteiten leefomgeving

Het Besluit activiteiten leefomgeving (Bal) bevat, samen met het Besluit bouwwerken leefomgeving, de algemene regels waaraan burgers, bedrijven en overheden zich moeten houden als ze bepaalde activiteiten uitvoeren in de fysieke leefomgeving. Ook bepaalt het besluit voor welke van deze activiteiten een omgevingsvergunning nodig is. Dit besluit bevat regels om het milieu, waterstaatswerken, wegen en spoorwegen, zwemmers en cultureel erfgoed te beschermen. De regels ter bescherming van het spoor en de zwemmers worden met het Invoeringsbesluit Omgevingswet ingevoegd.

4.1.2.3 Besluit bouwwerken leefomgeving

Het Besluit bouwwerken leefomgeving (Bbl) bevat, samen met het Besluit activiteiten leefomgeving, de algemene regels waaraan burgers en bedrijven zich moeten houden als ze bepaalde activiteiten uitvoeren in de fysieke leefomgeving. Dit besluit bevat regels over veiligheid, gezondheid, duurzaamheid en bruikbaarheid bij het (ver)bouwen van een bouwwerk, de staat van het bouwwerk, het gebruik van het bouwwerk en het uitvoeren van bouw- en sloopwerkzaamheden.

4.1.2.4 Besluit kwaliteit leefomgeving

Het Besluit kwaliteit leefomgeving bevat regels ter bescherming van de nationale belangen aan de hand van instructieregels, waaronder:

  • waarborgen van veiligheid (uit paragraaf 5.7 van de motivering volgt dat omgevingsveiligheid niet in het geding is)
  • beschermen van waterbelangen (in paragraaf 5.9 is uitgelegd dat hemelwater op eigen terrein zal worden geborgen en uit paragraaf 4.4 blijkt dat in de omgeving van het plangebied geen waterlopen liggen die van invloed zijn op het project en vice versa)
  • beschermen van gezondheid en milieu, waaronder instructieregels voor de kwaliteit van de buitenlucht, trillingen, geluid en geur en bodemkwaliteit (deze aspecten komen uitgebreid terug in paragraaf 5.3, 5.2, 5.4 en 5.5 van deze motivering; deze aspecten staan niet aan het plan in de weg met dien verstande dat ten aanzien van het aspect 'bodem' een sanering dient plaats te vinden);
  • beschermen van landschappelijke of stedenbouwkundige waarden en cultureel erfgoed, waaronder de ladder voor duurzame verstedelijking (paragraaf 4.1.3 zal ingaan op de laddertoets en uit paragraaf 5.8 en 5.10 blijkt dat landschappelijke en archeologische waarden niet in het geding zijn. het initiatief is stedenbouwkundig getoetst en ambtelijk passend geacht binnen de bestaande stedenbouwkundige structuur);
  • het behoud van ruimte voor toekomstige functies voor autowegen, buisleidingen, natuur- en recreatiegebieden (onderhavig initiatief zorgt op geen enkele wijze voor toekomstige beperkingen voor andere functies);
  • het behoeden van de staat en werking van infrastructuur of voorzieningen voor nadelige gevolgen van activiteiten, waaronder landsverdediging en nationale veiligheid, elektriciteitsvoorziening, rijksvaarwegen en luchtvaart, fiets- en wandelroutes, aanwijzing van woningbouwcategorieën. (onderhavig initiatief heeft op geen enkele wijze nadelige gevolgen voor toekomstige activiteiten die zien op het algemeen belang)

In Hoofdstuk 5 van deze motivering worden de aspecten van de fysieke leefomgeving uitgebreid behandeld. Voor zover de instructieregels relevant zijn voor de voorliggende ontwikkeling, worden deze regels in Hoofdstuk 5 bij het betreffende aspect behandeld.

In het bijzonder zijn verder op basis van het Besluit kwaliteit leefomgeving de volgende gebiedsaanwijzingen van toepassing:

  • gebieden waar windturbines het radarbeeld kunnen verstoren;
  • uitsluitingsgebieden hyperscale datacentra.

Echter, met de realisatie van de 6 grondgebonden woningen wordt niet voorzien in de realisatie van windturbines dan wel hyperscale datacentra. Het betreft uitsluitend de realisatie van woningen met een beperkte bouwhoogte. Gezien de beperkte goothoogte van maximaal 6,5 meter vindt er geen verstoring van het radarbeeld plaats.

4.1.3 Ladder duurzame verstedelijking

Bij het wijzigen van het omgevingsplan wordt het beoordelingskader gevormd door de instructieregels in hoofdstuk 5 van het Bkl, de provinciale instructieregels en eventuele andere instructies. Aan al deze aspecten genoemd in de instructieregels zal getoetst worden in hoofdstuk 5 van onderhavige motivering.

De Ladder voor duurzame verstedelijking is een instructieregel voor zorgvuldig ruimtegebruik en tegengaan van leegstand. Bij nieuwe stedelijke ontwikkelingen wordt beoordeeld of er echt behoefte aan is en of de ontwikkeling binnen het stedelijk gebied kan. Bij een omgevingsplan dat een nieuwe stedelijke ontwikkeling mogelijk maakt, dient toetsing aan de ladder plaats te vinden (regionale behoefte, mogelijkheid realisatie in bestaand stedelijk gebied, multimodale ontsluitingsmogelijkheden).

Of er sprake is van een stedelijke ontwikkeling wordt bepaald door de aard en omvang van de ontwikkeling in relatie tot de omgeving. Voor woningbouwlocaties geldt volgens de overzichtsuitspraak dat: 'in beginsel' sprake is van een nieuwe stedelijke ontwikkeling als er meer dan 11 woningen gerealiseerd worden.

In casu is er geen sprake van een stedelijke ontwikkeling, omdat er slechts zes woningen worden gerealiseerd. Om deze reden hoeft de ontwikkeling dus ook niet getoetst te worden aan de ladder van duurzame verstedelijking.

4.1.4 Beleidsregels Grote Rivieren

Het doel van de beleidsregels grote rivieren is om de beschikbare afvoer- en bergingscapaciteitvan het rivierbed te behouden en ontwikkelingen tegen te gaan die de mogelijkheid tot rivierverruiming onmogelijk maken.

afbeelding "i_NL.IMRO.0984.TAM25015-ON01_0015.png"

Figuur: uitsnede kaart Beleidsregels Grote Rivieren

Onderhavig plangebied (aangeduid met de zwarte pijl) is niet gelegen binnen een gebied waarop de Beleidslijn en de Beleidsregels grote rivieren zien.

4.1.5 Conclusie

Het planvoornemen ziet op de herontwikkeling van de bedrijfslocatie van het voorheen hier gevestigde garagebedrijf. Het plangebied is gelegen binnen bestaand stedelijk gebied van Blitterswijck. Met de herontwikkeling van het terrein wordt invulling gegeven aan de woningbouwopgave op een wenselijke wijze (stedelijke inbreiding). Hiermee wordt aangesloten op het principe van duurzame ruimtelijke ontwikkeling en het zorgdragen voor een goede leefomgevingskwaliteit.

Onderhavige ontwikkeling speelt daarmee in op de geformuleerde belangen uit de NOVI. Verder zijn er geen nationale belangen uit de NOVI in het geding als gevolg van deze ontwikkeling, met name gezien de kleinschaligheid en aard van het plan.

4.2 Provinciaal beleid en provinciale regels

4.2.1 Provinciale omgevingsvisie

Met de komst en invoering van de Omgevingswet dient elke provincie haar eigen provinciale omgevingsvisie op te stellen. Provinciale Staten hebben op 1 oktober 2021 de Omgevingsvisie vastgesteld welke op 25 oktober 2021 in werking is getreden.

In de provinciale omgevingsvisie Limburg zijn een aantal hoofdopgaven te onderscheiden, namelijk:

1. Een aantrekkelijke, sociale, gezonde en veilige leefomgeving

Zowel in de stedelijke centra als in de landelijke kernen liggen er diverse uitdagingen. In stedelijke centra heeft dit met name te maken met de versterking van de stedelijkheid, in de landelijke kernen met het behoud van de leefbaarheid. Limburg is rijk aan volkscultuur en tradities en heeft een rijk verenigingsleven. Hoewel sociale verbanden zoals verenigingen vroeger vanzelfsprekend waren, staan deze nu steeds meer onder druk. Er zijn daarnaast uitdagingen op het gebied van de verbetering en verduurzaming van de woningvoorraad, de toegankelijkheid, beschikbaarheid en bereikbaarheid van voorzieningen en het klimaatbestendig maken van de bebouwde omgeving. Ook kent het bebouwd gebied opgaven met betrekking tot de arbeidsmarkt en ruimte voor bedrijvigheid.

2. Een toekomstbestendige, innovatieve en duurzame economie; inclusief landbouwtransitie.

Tot 2020 groeit het aantal banen in Limburg. De welvaart en het gemiddelde opleidingsniveau nemen toe, maar niet voor iedereen. Hoewel de werkloosheid gelijk is aan het landelijk gemiddelde (peildatum 2019, 3e kwartaal), is de bruto participatiegraad in Limburg relatief laag. In sectoren als de bouw, horeca en toerisme, zorg en ICT wordt een krapte op de arbeidsmarkt ervaren. Demografische ontwikkelingen maken dat de beroepsbevolking slinkt en het aantal ouderen toeneemt.

Een bijzonder punt van zorg is de groeiende maatschappelijke tweedeling die zich ook fysiek uit in de vorm van de ruimtelijke concentratie van kwetsbare groepen. Samen met het verhogen van de arbeidsparticipatiegraad en het aantrekken van internationale werknemers kunnen ontwikkelingen als digitalisering, robotisering en automatisering het tekort aan arbeidskrachten – onder meer als gevolg van demografische ontwikkelingen – tegengaan.

3. Klimaatadaptie en energietransitie.

Klimaatverandering vergroot de kans op overstromingen en wateroverlast, hittegolven en hittestress en langdurige perioden van droogte. Dit brengt uitdagingen en veiligheidsoverwegingen, maar ook kansen met zich mee. Bijvoorbeeld het koppelen van thema's. Deze klimaatontwikkelingen hebben invloed op onze voedselvoorziening, de leefbaarheid, gezondheid en de natuur. Ook verandert de komende jaren de energievoorziening in Nederland fors. Deze energietransitie zal ook een grote impact hebben op de woon- en leefomgeving in Limburg. Energiebesparing in industrie, landbouw, woningen en mobiliteit én het accommoderen van de ruimtevraag voor de opwekking van duurzame energie, zoals zonne- en windenergie, zijn hierbij uitdagingen met impact op de omgeving.

Limburgse principes en algemene zonering

Bij (nieuwe) ontwikkelingen kiest de provincie voor maatwerk en daarbij wordt rekening gehouden met het karakter en de mogelijkheden van een gebied en de afweging van belangen op lokale schaal. De afweging vindt plaats op basis van de onderstaande Limburgse principes:

  • een inclusieve, gezonde en veilige samenleving;
  • de kenmerken en identiteit van gebieden staan centraal;
  • meer stad, meer land
  • zorgvuldig omgaan met ruimte en voorraden; boven- én ondergronds.

Het toekomstbeeld voor Limburg kan worden gevangen in een indicatieve zonering (landelijke gebieden, bebouwde gebieden en infrastructuren). Die zonering bouwt voort op de ‘tijdloze’ karakteristiek van de ondergrond; de geomorfologie en het watersysteem en de typering en ontwikkeling van het ruimtegebruik in deelgebieden binnen Limburg in de afgelopen decennia.

De Omgevingsvisie Limburg bestaat uit twee delen:

A. Een thematisch deel waarin gedetailleerd wordt ingegaan op de provinciale ambities en opgaven voor de diverse thema’s;

B. Een gebiedsgericht deel waarin de thema’s op hoofdlijnen verbonden worden op regionale schaal voor de drie regio’s Noord-, Midden en Zuid-Limburg.

A. Thema Wonen en leefomgeving

De Omgevingsvisie Limburg houdt vast aan een dynamisch en flexibel woonbeleid, de woonbehoeften van de Limburger zijn daarbij leidend. Verder liggen hierin ook mogelijkheden bij te dragen aan klimaat-, energie-, en duurzaamheidsdoelstellingen. Vanuit de wetgeving is de rol van de provincie op dit terrein beperkt. Daarom opereert de provincie, met betrekking tot dit thema, vanuit een agenderende, stimulerende, meesturende en verbindende rol. De POVI is hierbij een op hoofdlijnen richtinggevend kader. Aangezien de toekomst onderhevig zal zijn aan veranderingen, en elke specifieke regio voor een andere aanpak vraagt zijn meer gerichte uitwerkingen in provinciale, regionale en/of gemeentelijke programma’s, agenda’s en instrumenten noodzakelijk.

Op het gebied van wonen wordt er specifiek gekeken naar welke behoeften er zijn. De grootste opgave op korte- en middellange termijn zit in het toekomstgeschikt maken van de verouderde en niet-courante bestaande woningvoorraad. Uitgangspunten zijn dat deze woningen in eerste instantie levensloopbestendig dienen te worden gemaakt, en daarna ook verduurzaamd. Getalsmatig zijn er voldoende woningen, kwalitatief gezien zijn dit echter niet overal de juiste woningen en de juiste plannen. Met name in de middenhuur en sociale huur is er een steeds diverser wordende groep mensen aangewezen op nieuwe woon(zorg)concepten.

Verder is er ook speciale aandacht voor de betaalbaarheid van woningen, aangezien kansen voor sommige doelgroepen afnemen door de stijgende prijzen. Een belangrijk instrument om de kwaliteit van het bebouwde gebied op orde te maken is de ladder voor duurzame verstedelijking. Hierdoor wordt de ruimte in bebouwd gebied optimaal benut. Uitgangspunt hierbij is dat leegstaand vastgoed wordt hergebruikt en herbestemd wordt. Wonen is in principe alleen toegestaan in daarvoor bestemde woongebieden, hierop kunnen – tijdelijke – uitzonderingen worden gemaakt in de vorm van een flexibele schil.

Woonkwaliteit is niet alleen afhankelijk van de woning zelf. Omstandigheden die hier ook op van toepassing zijn, zijn bijvoorbeeld sociaaleconomische omstandigheden, gezondheid, leefbaarheid, het voorzieningenniveau, de bereikbaarheid en een veilige omgeving. De aandacht ligt bij het ontwikkelen van gemengde wijken, die bij kunnen dragen aan een sterk sociaal weefsel en verkleinen op die manier kloven in de samenleving. Ook belangrijk zijn natuur- en klimatologische eigenschappen van een woongebied. Groen, schone lucht, het tegengaan van hittestress en voorzieningen om wateroverlast (zowel overstromingen als droogte) tegen te gaan dragen daarmee bij aan de omgevingskwaliteit.

B. Zonering

Het toekomstbeeld voor Limburg kan worden gevangen in een indicatieve zonering. Die zonering bouwt voort op de ‘tijdloze’ karakteristiek van de ondergrond; de geomorfologie en het watersysteem en de typering en ontwikkeling van het ruimtegebruik in deelgebieden binnen Limburg in de afgelopen decennia. Het geformuleerde beleid in de Omgevingsvisie leidt niet tot aanpassingen van de begrenzing in de bestaande indicatieve kaartbeelden. De Omgevingsvisie is een visie in tekst en bevat geen specifiek kaartmateriaal.

De begrenzingen van de zoneringen en andere werkingsgebieden die voortkomen uit de Limburgse principes en de uitwerkingen in de thema’s in deze Omgevingsvisie, zijn verankerd in het kaartmateriaal behorende bij de Omgevingsverordening Limburg. De kaarten bij de Omgevingsverordening zijn zoneringskaarten. Dit betekent dat zones over bouwblokken, gebouwen, wegen, paden en ander grondgebruik, anders dan beoogd in de betreffende zonering, geprojecteerd zijn. Ook komt het voor dat de begrenzing van zones, bijvoorbeeld bufferzones rondom beken, dwars over percelen geprojecteerd zijn. Het precieze begrenzen van alle gebruiksfuncties hoort thuis op het niveau van de gemeentelijke omgevingsplannen. Voor de bestemmingen in de vigerende bestemmingsplannen (onder de Omgevingswet: omgevingsplannen) heeft de Omgevingsvisie geen directe gevolgen. De daarin vastgelegde bestemmingen blijven staan zolang er zich geen nieuwe ontwikkelingen voordoen.

Planspecifiek

In lijn met de Limburgse principes zijn de woningen zodanig gesitueerd en ontsloten dat het mogelijkheden biedt voor mensen om elkaar te ontmoeten, met name aan de zuidzijde van het plangebied, bij het kapelletje. Met het bouwen van de nieuwe woningen vindt er herstructurering plaats van een voormalige autogarage in de bestaande bebouwde kom van Bllitterswijck. Bij de planuitwerking is rekening gehouden met de aanwezige ruimtelijke kwaliteiten en stedenbouwkundige structuren.

De beoogde ontwikkeling omvat in lijn met de omgevingsvisie drie levensloopbestendige woningen. De woningen worden duurzaam en energiezuinig gebouwd, waarbij er aandacht is voor onder andere klimaatadaptief bouwen. Het verharde oppervlak van en rondom de woningen wordt afgekoppeld zodat al het hemelwater op eigen terrein kan infiltreren.

Uiteraard worden de woningen gasloos uitgevoerd en er zal daarnaast sprake zijn van goede isolatie, lage temperatuur verwarming, een warmtepomp en worden er zonnepanelen op het dak geplaatst om de nodige energie op te wekken.

Er is hiermee sprake van een duurzame verstedelijking, zie ook paragraaf 4.1.3. Daarmee past het voornemen binnen de Provinciale Omgevingsvisie.

4.2.2 Instructieregels provincie (omgevingsverordening)

Provinciale Staten kunnen bij omgevingsverordening regels stellen over de uitoefening van taken of bevoegdheden aan de gemeente (instructieregels).

Met de komst van de Omgevingswet is een nieuwe omgevingsverordening opgesteld die past binnen de kaders en het instrumentarium van de Omgevingswet.

Hoewel de op 17 december 2021 vastgestelde Omgevingsverordening Limburg hoofdzakelijk een beleidsneutrale omzetting van de Omgevingsverordening Limburg 2014 is, staan er enkele nieuwe of inhoudelijk aanmerkelijk gewijzigde onderwerpen in. Het gaat hier om instructieregels aan gemeenten op het gebied van wonen, zonne-energie, na-ijlende effecten van de steenkoolwinning en huisvestingsnormen voor internationale werknemers.

Ten aanzien van de functie wonen is in artikel 12.1 van de omgevingsverordening bepaald dat de motivering bij een omgevingsplan dat betrekking heeft op de realisatie van een of meerdere woningen beschrijft dat:

  • a. rekening is gehouden met de hoofdstukken 3 (Limburgse principes en algemene zonering) en 5 (wonen en leefomgeving) van de provinciale omgevingsvisie;
  • b. sprake is van behoefte in kwaliteit en kwantiteit op basis van actueel onafhankelijk regionaal behoefteonderzoek;
  • c. over de behoefte aan realisatie van deze woningen overeenstemming bestaat binnen de regio Noord-Limburg of Midden-Limburg of Zuid-Limburg. De regio’s bepalen eigenstandig de regionale overeenstemming, organiseren hun eigen regionale overleggen en dragen zorg voor actuele regionale woonvisies en regionale onderzoeken;
  • d. het omgevingsplan is opgenomen in de Limburgse systematiek van monitoring, bedoeld in afdeling 14.5;
  • e. realisatie van de woningen beoogd is binnen 3 jaar na vaststelling van het omgevingsplan en dat, als deze termijn niet wordt gehaald, hoe en wanneer de mogelijkheid tot realisatie van deze woningen komt te vervallen.

Tevens ligt het plangebied bnnen het gebied waar een gemiddelde kans op overstroming is. De omgevingswaarde voor de overstromingskans is op 1:100 per jaar. Op het waterschap rust de inspanningsverplichting dat uiterlijk in 2035 deze waarde kan worden gehaald zodat de kans op overstroming tot 1 keer per 100 jaar is teruggedrongen.

Afweging provinciale instructieregel (artikel 12.1 OL)

Ad a: De ontwikkeling ligt op de kaart bij de Verordening geheel binnen de zonering 'landelijke kern'. Het toevoegen van een stedelijke functie in een kern, omgeven door woonbestemmingen die aan drie zijden geheel of nagenoeg aan het plangebied grenzen, heeft geen wezenlijk effect en de intensivering van de woonfunctie is niet strijdig met de algemene zonering die de provincie Limburg hanteert.

afbeelding "i_NL.IMRO.0984.TAM25015-ON01_0016.png"

Kaart Provinciale Omgevingsverordening

Ad b en c: De omgevingsvisie bepaalt dat bij planvorming voor uitbreiding van de woningvoorraad de ladder voor duurzame verstedelijking en de voorkeur voor gebruik van leegstaand vastgoed consequent wordt gehanteerd. Toevoegingen aan de Limburgse woningmarkt moeten niet alleen van de juiste soort zijn (voldoen aan de specifieke lokale woningbehoefte) en op de juiste locatie zijn, maar moeten in veel gevallen ook gepaard gaan met sloop, zodat de kwantitatieve verhouding in balans blijft.

Onderhavig project betreft een herontwikkelingslocatie binnen de kern. De vraag naar nieuwe woningen is onverkort groot. Door de ligging binnen de kern is er sprake van een juiste locatie.

Omdat er sprake is van een herontwikkelingslocatie gelegen binnen het bebouwd gebied (ook in de feitelijke bebouwde kom), er al sprake is van een stedelijke functie (Bedrijf) binnen een bestaande woonwijk én sprake is van een aantoonbare behoefte, wordt voldaan aan de ladder duurzame verstedelijking zoals beschreven in paragraaf 4.1.2. Zoals ook in paragraaf 4.3 van onderhavige onderbouwing aan de orde zal komen, is er in casu sprake van bouwen naar reële behoefte en worden woningen toegevoegd waaraan blijkens de meest recente prognoses zoals vermeld in de paragraaf Limburgse Agenda Wonen 2020 – 2023 ook daadwerkelijk behoefte is.

Ad d: Onderhavig project is (nog) niet opgenomen in de Plancapaciteitsmonitor Limburg.

Ad e: In de anterieure overeenkomst welke tussen het bevoegd gezag en initiatiefnemer is afgesloten, is een bepaling opgenomen dat realisatie in ieder geval binnen 5 jaar zijn beslag dient te krijgen; indien realisatie dan niet heeft plaatsgevonden kan het bevoegd gezag de omgevingsvergunning voor de bouw van de niet gerealiseerde woningen intrekken en de woonfunctie herbestemmen naar een andere functie. Voor het plangebied zijn er verder geen beperking opgenomen. Het project is, hoewel het nog niet is opgenomen in de Plancapaciteitsmonitor, niet strijdig met de doelstellingen op het gebied van woningbouw van de Omgevingsverordening Limburg.

4.2.3 Conclusie

Onderhavig verzoek past binnen die ambities van de provincie Limburg, doordat de zes wooneenheden worden toegevoegd binnen bestaand bebouwd gebied waarvan er 3 levensloopbestendig zullen worden gerealiseerd naar de wens en de specifieke behoeften van onder andere de oudere bewoners uit (de omgeving van) Blitterswijck die willen doorschuiven op de woningmarkt en (jonge) gezinnen. Het woongebied wordt gerealiseerd met oog voor duurzaamheid en klimaatadaptatie waardoor een aantrekkelijke en gezonde leefomgeving wordt geïnitieerd waar de bewoners in harmonie bij elkaar kunnen wonen. Het saneren van een bedrijfslocatie in de woonwijk zorgt voor een toename van het gevoel van sociale veiligheid.

4.3 Regionaal beleid

Op 22 september 2020 heeft de gemeente Venray de nieuwe Regionale Woonvisie Noord-Limburg 2020-2024 vastgesteld. Deze woonvisie geeft richting aan het woonbeleid voor in ieder geval 4 jaar. Het is de 2e visie die door de 8 Noord-Limburgse gemeenten in gezamenlijkheid is opgesteld. In deze visie wordt teruggekeken naar de vorige visie: waar komen we vandaan en wat willen we meenemen naar de nieuwe visie. En zijn er ook zaken die veranderd zijn? Het 'wonen' is steeds meer verweven met andere beleidsvelden in het economische én het sociaal domein. In het hoofdstuk 'analyse: trends en ontwikkelingen' wordt aangegeven wat de huishoudensontwikkeling is. Demografie blijft immers een belangrijke onderlegger voor het woonbeleid. Prognoses geven een handvat om in te spelen op de toekomstige ontwikkeling van onze bevolking. Hierbij gaat het zeker niet alleen om aantallen, maar ook om de samenstelling van onze bevolking. Uit de analyse die inzicht geeft in de sterke en zwakke segmenten van de woningvoorraad, blijkt dat de aandacht met name moet uitgaan naar de bestaande voorraad. Ook zijn allerlei trends en ontwikkelingen die de context waarbinnen wordt gewerkt, beïnvloeden en de druk op de leefbaarheid vergroten. Denk hierbij aan grote ontwikkelingen zoals de energietransitie en de vergaande extramuralisering van de zorg. Vanuit deze analyse is er dan ook een aantal opgaven dat kan worden samengevat in:

  • Mismatch woningbehoefte en woningvoorraad: Het gaat hierbij om zowel de bestaande woningvoorraad, als nieuwbouw. Er wordt geconstateerd dat de samenstelling van onze bevolking verandert. Men wordt ouder en er is een grote toename van het aantal 1-persoonshuishoudens. Dit brengt een andere woonvraag met zich mee. Deze vraag sluit maar deels aan op wat we in de bestaande voorraad hebben. De opgave ligt dan ook bij het aanpassen van de bestaande voorraad. De nieuwbouw die wordt toegevoegd dient toegespitst te worden op de toekomstige woningbehoefte. Hierbij wordt nog meer dan voorheen gekeken naar de kwalitatieve vraag en het bevorderen van de doorstroming op de regionale woningmarkt. Bij nieuwbouw is de kwalitatieve toets daarom leidend en in mindere mate de kwantitatieve toets.
  • Zoektocht om alle doelgroepen een plek te geven binnen onze woningmarkt: In onze regio komen verschillende doelgroepen nadrukkelijker naar voren. Die moeten allemaal een plek krijgen binnen onze woningmarkt en maatschappij. Denk hierbij aan zorgdoelgroepen (vanuit beschermd wonen naar de reguliere woningmarkt) en internationale werknemers die zich hier voor langere tijd willen vestigen. Voor een deel zijn bijzondere doelgroepen afhankelijk van de sociale huursector. De druk op dit segment lijkt dan ook toe te nemen. Niet alleen qua aantallen, maar juist door een concentratie van mensen die door allerlei oorzaken hun weg maar moeilijk kunnen vinden in onze maatschappij. Dit brengt druk op de leefbaarheid met zich mee.

Planspecifiek:

De geplande woningen midden in deze kleine woonkern zijn geschikt voor het huisvesten van doelgroepen welke op zoek zijn naar een woning in een (qua prijs) gemiddeld doch kwalitatief heel mooi segment. Voor de starters/doorstromers op de Blitterswijckse woningmarkt biedt dit mogelijkheden om in het dorp te blijven wonen, maar ook senioren kunnen hier een plekje vinden.

Het project is derhalve passend in de gedachtegang zoals verwoord in de regionale Woonvisie Noord-Limburg.

4.4 Beleid Waterschap

Om ervoor te zorgen dat de waterbelangen een goede plek krijgen en evenwichtig worden afgewogen bij nieuwe ruimtelijke ontwikkelingen wordt de watertoets uitgevoerd. Ook onder de Omgevingswet is dit proces vastgelegd maar dan onder de noemer 'weging van het waterbelang'.

In het waterbeheerprogramma (WBP) en Keur van het Waterschap Limburg staan de regels van het Waterschap Limburg.

4.4.1 Waterbeheerprogramma (WBP)

Met het waterbeheerprogramma (WBP) geeft Waterschap Limburg richting aan het waterbeheer in de periode 2022 - 2027:

  • Programma Waterveiligheid: bescherming tegen overstromingen vanuit de Maas. Het afgekoppelde regenwater zorgt voor minder vervuilende riooloverstorten. Het verbetert de doorstroming en daarmee de kwaliteit van stadswateren. Doordat een groot deel van het water lokaal infiltreert in groenstroken en tuinen, wordt voorkomen dat oppervlakkig afstromend regenwater onderweg vervuild raakt en zo het ontvangende oppervlaktewater belast.
  • Klimaatadaptatie: balans tussen water afvoeren én water vasthouden. Zo zorgt bijvoorbeeld verdamping in de stad voor minder hittestress. Daarmee zijn de sponswerking van de gebouwde omgeving en de kwaliteit van het oppervlaktewater vergroot. Ook op dit gebied moet samengewerkt worden om werk met werk te kunnen maken (efficiency), om instrumenten van derden te benutten teneinde onze eigen opgave te realiseren (zoals omgevingsplannen) en voor de inpassing in de omgeving.
  • Waterkwaliteit en ecologie: het water binnen de gemeente moet schoon zijn en wateren zijn natuurlijk ingericht.
  • We maken een stevig begin met de (bron)aanpak van de problemen met medicijnresten en opkomende stoffen (zoals PFAS en microplastics) in het oppervlaktewater.
  • Zuiveren en waterketen: zuiveren rioolwater en grondstoffen terugwinnen en gebruiken.

Voor het plangebied is vooral klimaatadaptatie van belang. Om de klimaatverandering een stap voor te blijven, is nu het moment om de plannen gereed te hebben en te starten met de uitvoering. Daarom is klimaat adaptief denken en handelen de basis van al het werk van het Waterschap en dat verwacht zij ook van haar partners. De speerpunten zijn:

  • Samen klimaat adaptief inrichten van stad en land;
  • Aanpakken grootste wateroverlastknelpunten;
  • Risico gestuurd peilbeheer en onderhoud;
  • Elke druppel vasthouden en pas afvoeren als het moet.

Bij nieuwbouw is het afkoppelen van regenwater inmiddels vanzelfsprekend. De voorkeursvolgorde bij afkoppelen is vasthouden - bergen - afvoeren, waarbij infiltreren in de bodem voorgaat op lozen op oppervlaktewater. Ook opvangen en gebruiken voor huis en tuin is een duurzame oplossing. Vanzelfsprekend geldt bij afkoppelen en infiltreren dat dit geen overlast elders mag veroorzaken. Ook belangrijk is de kwaliteit van het afgekoppelde regenwater. Alleen met het doorlopen van de trits schoon houden - scheiden - zuiveren is lozen op de bodem of op watergangen acceptabel.

In paragraaf 5.9 van deze motivering komt aan de orde op welke wijze het water binnen het plangebied zal worden vastgehouden en kan infiltreren.

4.4.2 Waterschapsverordening

De Waterschapsverordening is de opvolger van de Keur. De Keur is een verordening met de regels die een waterschap hanteert bij de bescherming van waterkeringen, watergangen en bijbehorende gemalen, stuwen, sluizen, enz. Nu de Omgevingswet in werking is getreden zijn alle regels die het waterschap binnen haar beheergebied stelt over de fysieke leefomgeving, opgenomen in de Waterschapsverordening.

Op onderstaande uitsnede uit de legger is te zien welke waterlopen op ruime afstand van het plangebied liggen:

afbeelding "i_NL.IMRO.0984.TAM25015-ON01_0017.png"

Uitsnede legger

De dichtstbijzijnde watergang (Wolterskamp) is circa 480 meter ten noordoosten van het plangebied gelegen. De onderhavige ontwikkeling heeft geen effect op deze watergang.

4.5 Gemeentelijk beleid

4.5.1 Toekomstvisie 2030 'Venray loopt voorop'

In het coalitieakkoord 2018-2022 'Een gezonde toekomst voor Venray' is opgenomen dat de gemeente Venray wil komen tot een nieuwe strategische visie met een horizon tot 2030. Deze stip op de horizon moet richting geven aan de vraag waarin de gemeente zich de komende jaren wil ontwikkelen gezien de actuele trends en ontwikkelingen. Bijvoorbeeld op het gebied van klimaat, energie, duurzaamheid, leefomgeving, gezondheid, demografie en technologie, maar ook kijkend naar de positie en rol van de gemeentelijke overheid.

Hiertoe heeft de gemeenteraad op 27 juni 2019 een nieuwe strategische visie vastgesteld; de Toekomstvisie 2030 'Venray loopt voorop'. Deze visie vervangt de Strategische visie Venray 2020 en de nota 'Venray, stad in de Peel (2025)'.

De toekomstvisie geeft richting om de koers te bepalen waarlangs we de gevolgen van de trends en ontwikkelingen laten landen in de gemeente, binnen de gemeenschap van Venray én in de regio. Belangrijke thema's uit de vorige (herijkte) strategische visie 'Tweede stad in de Peel' lopen door naar deze visie. 'Venray loopt voorop' geeft een eigentijdse vertaling van zelfsturing met een herijking van participatie en de rol van de overheid. Daarnaast is er veel aandacht voor de kwalitatieve ontwikkeling van onder meer de leefomgeving. Ook is samenwerking nader geduid als het gaat om de regio, met onderwijs, bedrijfsleven en in de naaste omgeving van inwoners.

Speciale aandacht verdient de komst van de Omgevingswet. De toekomstvisie 2030 is een belangrijke 'eerste stap' (identiteit, kwaliteiten, doelen) voor de totstandkoming van de Omgevingsvisie. In dat traject zal de verdieping plaatsvinden op de toekomstvisie, meer specifiek in de ruimtelijke vertaling.

De gemeente Venray heeft voor de komende tien jaar de volgende vijf concrete ambities geformuleerd:

"In het Venray van 2030:

  • 1. zijn inwoners, hun netwerken, culturen en voorzieningen met elkaar verbonden;
  • 2. woon je groen en sociaal;
  • 3. zorgt ondernemerschap met aandacht voor mens, dier en milieu, voor nieuwe economische kansen;
  • 4. stroomt kennis, creativiteit en vernieuwing;
  • 5. is iedereen mobiel."

In de toekomstvisie worden weinig directe beleidsuitspraken gedaan over woningbouw- ontwikkelingen in de gemeente Venray. Venray stelt zich tot doel dat er voor de diverse doelgroepen voldoende woningen beschikbaar zijn.

Planspecifiek:

De herinvulling van het voormalige WeJeBe-terrein met 6 woningen (2 tweekappers en 2 vrijstaand) in de categorie levensloopbestendige woning (3x) en gezinswoning (3x) waarbij duidelijk aandacht is voor een duurzame uitvoering, past goed in het stedenbouwkundige beeld van de woonbebouwing in de omgeving en past bij de woonwensen/-behoeften in deze kern. Hierdoor is het plan in overeenstemming met de toekomstvisie.

Hiermee is het plan in overeenstemming met de toekomstvisie.

4.5.2 Omgevingsvisie Venray

De gemeenteraad van Venray heeft op 21 december 2023 de Omgevingsvisie Venray vastgesteld. De omgevingsvisie van geeft aan wat belangrijk wordt gevonden in de fysieke leefomgeving. De fysieke leefomgeving is alles wat we buiten zien en voelen: bijvoorbeeld hoe de gemeente eruit ziet, wat de kwaliteit isvan de lucht en welke bedrijven er zijn. De omgevingsvisie gaat in op ambities, beleid en de samenhang tussen ruimte, water, milieu, natuur, landschap, verkeer en vervoer, wonen en werken en cultureel erfgoed. De onderdelen van deze leefomgeving waar de gemeente trots op is, moeten worden beschermd en verbeterd. Daarnaast zet de gemeente in op nieuwe doelen die zijn beschreven in 5 hoofdambities. Dit betreffen:

  • Groen wonen voor iedereen
  • Een gezond Venray heeft de toekomst
  • Venray bloeit, bruist en boeit
  • Natuurlijk Venray!
  • Ambities in regionaal perspectief

Voor wat betreft het projectgebied is er sprake van 'woongebied'.

afbeelding "i_NL.IMRO.0984.TAM25015-ON01_0018.png"

Afbeelding: Uitsnede uit Omgevingsvisie Venray

Met betrekking tot de 'woongebieden' zegt de omgevingsvisie het volgende:

Venray en de dorpen kennen een fijn woonklimaat. Tegelijkertijd kent de gemeente een woningtekort. Zowel voor jongeren als voor ouderen. De gemeente wil bouwen voor behoefte en sturen op meer kwaliteit van woningen. Oplossingen ziet de gemeente in het bouwen van woningen die meer aansluiten bij het toekomstperspectief. Een vooruitblik in de toekomst laat ons zien dat: er voldoende groen en ruimte is waar Venraynaren elkaar dicht bij huis kunnen ontmoeten en er passende woningen zijn voor jong en oud.

Venray gaat hierbij voor woongebieden die over een aantal jaar veranderd zijn in groene wijken en dorpen waar jong en oud over een woning beschikken die past bij hun levensfase en levensstijl. In het toekomstig Venray ziet de gemeente voldoende betaalbare en voldoende nultredenwoningen. Dit alles in een groene woonomgeving, bijzondere woonvormen en vitale gemeenschappen die voor elkaar zorgen. De mens staat centraal en inwoners hebben de kansen en keuzemogelijkheden om te kunnen deelnemen aan de samenleving. Denk bijvoorbeeld aan de toegang tot voorzieningen en vervoer.

Ambities: Binnen de woongebieden wordt/worden:

  • gestuurd op woningkwaliteit
  • het aantal zorgvoorzieningen afgestemd op de doelgroepen
  • voorzieningen gerealiseerd om te bewegen en te ontmoeten
  • ingezet op meer ruimte voor groen in alle woongebieden
  • ingezet op behoud en toegankelijkheid van voorzieningen
  • aandacht besteed aan de fysieke en sociale veiligheid
  • overlast van houtstook beperkt
  • huisvesting van internationale werknemers bevorderd
  • duurzame mobiliteit gestimuleerd

Planspecifiek:

Onderhavig plan betreft het opheffen van een bedrijfslocatie midden in de woonkern Blitterswijck en het op deze locatie toevoegen van 6 woningen aan deze woonkern. De woningen worden deels levensloopbestendig vormgegeven (3 stuks), zijn van hoge kwaliteit en afwerkingsniveau en zijn gesitueerd op een duidelijke inbreidingslocatie. Hiermee wordt, op een schaal welke passend is bij de kern Blitterswijck, een impuls gegeven aan de woningbouwopgave van de gemeente Venray. Door deze herontwikkeling van de voormalige bedrijfslocatie neemt deveiligheid toe; een bedrijfslocatie is immers na werktijd gesloten, waarbij er kans is op ongewenst gebruik van de niet omheinde buitenruimte.

De zuidelijke 3 woningen kijken uit over het landelijk gebied; de percelen zijn dusdanig groot dat er ook voldoende ruimte is voor vergroening van de eigen percelen.

Er zal veel aandacht zijn voor de duurzaamheidsaspecten als gasloos, afkoppeling van hemelwater, aanbrengen van bijvoorbeeld zonnepanelen, zonnecollectoren of een warmteterugwininstallatie.

Gelet hierop past de ontwikkeling binnen het planologische beleid, zoals neergelegd in de Omgevingsvisie Venray.

4.5.3 Omgevingsprogramma Wonen: Verder bouwen aan de toekomst van Venray

In het gemeentelijke programma Koers op Wonen zijn de ambities en uitgangspunten voor met name de kwantitatieve bouwopgave vastgelegd. De kwalitatieve opgave is in het op 15 februari 2022 vastgestelde Omgevingsprogramma Wonen verder uitgewerkt. Zo zijn de eerdere vier actielijnen (versnellen, vergroten, veranderen en verduurzamen) aangevuld en vertaald naar vijf centrale thema's:

  • 1. Snel voldoende woning bouwen
      • een bouwproductie van minimaal 2.000 woningen tot 2035;
      • waarvan minimaal 1.500 woningen in de komende 10 jaar (gemiddeld ca. 150 per jaar);
      • een inhaalslag in de eerste jaren (minimaal 200 woningen per jaar);
      • woningen bouwen in iedere kern.
  • 2. Gevarieerd aanbod
      • een goede differentiatie van de nieuwbouw, passend bij de behoefte nu en in de toekomst;
      • focus op betaalbaarheid in koop en huur;
      • niet meer van hetzelfde, maar meer variatie in vorm, techniek en doelgroepen;
      • meer sturing en regie op type en prijsklassen van nieuwe woningen, passend bij behoefte en opgaven;
      • een daarbij passend stelsel van maatregelen, afspraken en instrumenten;
      • focus op aanpassing bestaande woningvoorraad (levensloopbestendig maken).
  • 3. Duurzame woningvoorraad
      • Een duurzame Venrayse samenleving, die:
      • minder CO2-uitstoot: in 2030 met 60% vergeleken met 1990;
      • volledig energieneutraal is in 2050;
      • de klimaatadaptatie onder controle heeft in 2035;
      • de circulaire werkwijze als vanzelfsprekend uitgangspunt ziet in 2035.
  • 4. Wonen en zorg
      • al onze inwoners die zelfstandig willen wonen en een zorgvraag hebben, kunnen in Venray blijven wonen, zoveel mogelijk in eigen wijk of kern;
      • mensen die de stap van een instelling naar zelfstandig wonen kunnen maken, willen we hiervoor kansen bieden met passende ondersteuning;
      • we realiseren een breder palet van woonvormen voor onze inwoners, met veel variatie tussen gewoon zelfstandig wonen en intramuraal wonen en de daarbij passende zorg.
  • 5. Vitale wijken en kernen
      • Centrum: voorkomen leegstand, nadruk op wonen aan de randen van het centrum, kansen voor starters en ouderen;
      • Woongebieden: streven naar vitale wijken en kernen met voldoende groen, ruimte voor ontmoeting en passende woningen voor jong en oud;
      • Werkgebieden: goede milieuzonering, nieuwe woonfuncties eventueel aan de randen;
      • Natuurgebieden: geen ruimte voor nieuwe woonfuncties, gebieden dragen bij aan positieve gezondheid inwoners;
      • Agrarische gebieden: terughoudend met nieuwe woningen, alleen in kernrandzone en bestaande woonclusters, met nieuwe woonvormen.

Planspecifiek:

Onderhavig plan waarin in het woongebied Blitterswijck zesduurzame woningen worden gerealiseerd (waarvan 3 levensloopbestendig) , waarbij gebruik wordt gemaakt van een herstructurerings- /inbreidingslocatie, past geheel in de doelstellingen van het nieuwe Omgevingsprogramma Wonen.

Binnen het plangebied zal met de erfbeplanting binnen de nieuwe woonkavels een passende invulling van deze percelen worden bereikt.

4.5.4 Structuurvisie bijdrage Ruimtelijke Ontwikkeling

De Structuurvisie bijdrage Ruimtelijke Ontwikkeling 2011 is vastgesteld op 20 december 2011 en op 1 januari 2012 in werking getreden. Het in deze structuurvisie vastgelegde kwaliteitsbeleid omtrent een bijdrage Ruimtelijke ontwikkeling is gebaseerd op de gedachte dat ruimtelijke ontwikkelingen (bouwactiviteiten) leiden tot verlies aan ruimtelijke kwaliteit en dat dit verlies moet worden gecompenseerd. Achterliggend doel is het behoud en waar mogelijk versterking van de (groene) kwaliteiten.

Het ruimtelijk beleid is vastgelegd in diverse ruimtelijke visies en omgevingsplannen. Deze zijn maatgevend voor waar welke ontwikkelingen worden toegestaan. In dit beleid en deze regelgeving wordt ook ingegaan op de ruimtelijke kwaliteit en maatregelen die kunnen worden genomen.

Sommige maatregelen worden niet via een bijdrage voor de ruimtelijke ontwikkeling geregeld.

Planspecifiek:

Voor het bepalen van de hoogte van de bijdrage in het stedelijk gebied wordt aangesloten bij de bijdrage ruimtelijke ontwikkeling zoals vastgelegd in de Structuurvisie bijdrage Ruimtelijke Ontwikkeling 2011. Deze bijdrage bestaat uit € 2.500,- per kavel. De tegenprestatie vindt zo veel mogelijk ter plaatse en/of in de nabijheid van de ingreep plaats. Indien dit niet mogelijk is, komt de bijdrage ten goede van het kwaliteitsfonds stedelijk gebied.

4.5.5 Energiestrategie 2030

In 2013 is de Energiestrategie 2030 voor de gemeenten Beesel, Venlo en Venray: 'Energie voor groene groei' vastgesteld. Door de gemeenteraad is daarbij de ambitie uitgesproken om in 2030 CO2-neutraal (ofwel energieneutraal met compensatiemaatregelen) te zijn. Op basis van deze visie is door het college het 2e Uitvoeringsprogramma Energie Venray (2018-2021) vastgesteld.

Met de Energiestrategie en het bijbehorende UP zijn de doelstellingen en de gefaseerde uitvoering op lange en korte termijn uitgewerkt.

De gemeente is voor het bereiken van de energiedoelen afhankelijk van alle energiegebruikers en energieleveranciers in de gemeente: bedrijfsleven, huishoudens, instellingen etc. De samenleving laat zich echter niet door de overheid sturen om energie te besparen of lokaal duurzaam op te wekken. Daarvoor moet er in de samenleving vooral ruimte zijn die leidt tot creativiteit en innovatie van de bedrijven en inwoners zelf. De overheid heeft daarin een rol als partner die samenwerkt, belemmeringen wegneemt, faciliteert en het goede voorbeeld geeft.

De betrokkenheid van de overheid zorgt voor het aanjagen en versnellen van de gewenste ontwikkelingen.

Het streefbeeld in 2030 voor woningen laat zich als volgt schetsen:

  • Gebouwen hebben de laagste energievraag
  • Gebouwen worden energiecentrales
  • Slimme netwerken zorgen voor optimale uitwisseling
  • 50% van de bestaande woningen en gebouwen zijn 50% energiezuiniger en 50% van de woningen voorziet in 100% van eigen energievraag

Planspecifiek:

In paragraaf 3.4 is reeds aan de orde gekomen hoe duurzaamheidsmaatregelen in onderhavig plan voor de realisatie van de nieuwe woningen voorzien zijn.

4.5.6 Conclusie

Uit het bovenstaande, met verdere verwijzing naar de toets aan het omgevingsplan zoals opgenomen in paragraaf 1.3 van deze motivering, blijkt dat de voorgenomen activiteit niet strijdig is met de doelstellingen en het planologisch beleid van de gemeente Venray.

Hoofdstuk 5 OMGEVINGSASPECTEN

In dit hoofdstuk wordt beschreven op welke wijze bij de activiteit rekening is gehouden met diverse aspecten van de fysieke leefomgeving en de evenwichtige toedeling van functies aan locaties. De aspecten sluiten aan op en dekken de onderdelen zoals genoemd in artikel 1.2 Omgevingswet.

5.1 Beschermen van de gezondheid

In deze paragraaf komt aan de orde op welke wijze bij de activiteit rekening wordt gehouden met het aspect gezondheid. Het gaat om:

  • het beschermen van gezondheid (is er sprake van bijzondere omstandigheden waardoor het verlenen van de vergunning leidt tot ernstige nadelige of mogelijk ernstige nadelige gevolgen voor de gezondheid?)
  • het bevorderen van de gezondheid, zoals bevorderen sport en ontspanning (positieve gezondheid).

5.1.1 Wettelijk kader

Conform artikel 1.3 sub a Omgevingswet is het bereiken en in stand houden van een veilige en gezonde fysieke leefomgeving en een goede omgevingskwaliteit een belangrijk maatschappelijk doel van de Omgevingswet. De aspecten veilige en gezonde fysieke leefomgeving en een goede omgevingskwaliteit hangen nauw met elkaar samen.

Omdat het bereiken en in stand houden van een gezonde fysieke leefomgeving een belangrijk doel is van de Omgevingswet bevat het Bkl een aantal instructieregels die specifiek de bescherming van de gezondheid en het milieu tot doel hebben. De instructieregels hebben onder andere betrekking tot de aspecten geluid, geur, trillingen, luchtkwaliteit en bodem. Deze aspecten worden in de hiernavolgende paragrafen gemotiveerd, echter ook de aanwezigheid van geitenhouderijen, endotoxinen en spuitzones hebben effect op de gezonde fysieke leefomgeving. Deze aspecten zullen in onderhavige paragraaf aan de orde komen.

Tevens zal hierin worden vermeld welke gezondheidseffecten vanuit het project zelf te verwachten zijn.

5.1.2 Geiten

Het aantal geiten is in Limburg is toegenomen van ca. 46.000 in 2016 naar 61.000 dieren in 2018. In 2018 gaat het daarbij om 44.000 melkgeiten (72%). Het aantal gespecialiseerd melkgeitenhouderijen nam toe van 22 in 2016 naar 25 in 2018. Ook Venray en omgeving herbergt gespecialiseerde geitenhouderijen.

Uit de studies Veehouderij en Gezondheid van Omwonenden blijkt dat mensen die binnen 1,5 - 2 km rondom geitenhouderijen wonen een grotere kans hebben op een longontsteking. Wat deze toename veroorzaakt is nog onduidelijk. Er loopt onderzoek naar de oorzaken van de longontstekingen.

De provincie Limburg heeft gelet op die gezondheidseffecten in mei 2019 een voorbereidingsbesluit genomen op basis waarvan het verboden is om het direct aan de inwerkingtreding van dat voorbereidingsbesluit voorafgaande bestaande gebruik van bouwwerken of gronden binnen het gehele grondgebied van de provincie Limburg te wijzigen in gebruik ten behoeve van het houden van geiten. Onder wijzigen wordt ook verstaan een uitbreiding van het direct aan de inwerkingtreding van dit voorbereidingsbesluit voorafgaande aanwezige aantal geiten binnen een inrichting. Dit verbod is niet van toepassing op inrichtingen waar minder dan tien geiten zullen worden gehouden.

Planspecifiek:

De projectie van woningen op onderhavige locatie is een functie welke effecten kan ondervinden van in de omgeving gelegen geitenhouderijen. De meest nabijgelegen geitenhouderij ligt aan de Losbaan 44 te Grubbenvorst, op een afstand van ruim 9 km ten zuiden van de Oude Heerweg 23. Deze afstand is, refererend aan de studies Veehouderij en Gezondheid van Omwonenden, dus groot genoeg om ervoor te zorgen dat de nieuwe bewoners geen gezondheidsrisico's zullen ondervinden.

5.1.3 Endotoxinen

De effecten die veehouderijen op de volksgezondheid kunnen hebben, moeten worden betrokken bij besluiten in het kader van ruimtelijke ordening en milieu. Een van de effecten op de volksgezondheid ziet op endotoxinen.

Endotoxinen zijn celwandresten van bacteriën. Als deze organismen afsterven, komen de endotoxinen vrij. De endotoxinen binden zich aan bacterieresten, stofdeeltjes of waterdeeltjes. Ze kunnen zich gemakkelijk in de omgeving verspreiden. Het inademen van endotoxinen kan leiden tot ontstekingsreacties en luchtwegaandoeningen. Maar endotoxinen kunnen ook beschermende effecten hebben, bijvoorbeeld minder allergie.

De Gezondheidsraad hanteert in het rapport ‘Gezondheidsrisico’s rond veehouderijen: vervolgadvies’ (2018) een advieswaarde van 30 EU/m3 voor de maximale blootstelling aan endotoxinen in de buitenlucht. De Gezondheidsraad gaat ervan uit dat met deze advieswaarde de gezondheid van omwonenden van veehouderijen tegen te veel aan endotoxinen kan worden beschermd.

Het Ondersteuningsteam Veehouderij en Volksgezondheid (team van provincie Noord-Brabant, de GGD en verschillende Brabantse omgevingsdiensten en gemeenten) hebben de ‘Notitie Handelingsperspectieven Veehouderij en Volksgezondheid: Endotoxine toetsingskader 1.0’ opgesteld.

Uit bijlage N: 'figuren overschrijdingsafstanden uit modelberekeningen' behorende bij het rapport ‘Emissies van endotoxinen uit de veehouderij: emissiemetingen en verspreidingsmodellering’ van WUR (2016) (endotoxinerapport) valt af te lezen dat in de regio Noord-Limburg op een afstand van meer dan 550 meter gemeten vanuit welke intensieve veehouderijtak dan ook, geen overschrijding van de norm voor endotoxinen plaatsvindt.

In 2019 is een 'Veehouderij en Gezondheid Omwonenden'-deelstudie uitgevoerd in een nieuw gebied (Gelderland, Utrecht en Overijssel). In dit onderzoek was de specifieke relatie tussen pluimveehouderijen en longontsteking niet zichtbaar. Wel zagen de onderzoekers relatief grote verhogingen van het aantal longontstekingen in plattelandsgemeenten met veel intensieve veehouderijen. Vanwege de relatief hoge emissie van fijnstof blijven mogelijke gezondheidseffecten in regio’s met veel pluimveehouderijen in vervolgonderzoek een punt van aandacht.

Ook de GGD geeft informatie over 'Opgroeien in gezonde lucht', en dan meer specifiek over wonen nabij veehouderijen. Hierin is het advies opgenomen om minimaal 250 meter afstand te houden van een groot veehouderijbedrijf. Deze 'richtafstand' is bepaald kijkend naar allerlei factoren die de gezondheid kunnen beïnvloeden. Bij een grotere afstand dan 250 meter wordt niet automatisch voldaan de diverse milieuhygiënische normen; dit moet per situatie beschouwd worden.

Locatiespecifiek:

De nieuwe woonfunctie is gevoelig voor de invloed van endotoxinen.

De meest nabijgelegen intensieve veehouderij bevindt zich aan de Antoniusstraat 24 te Blitterswijck en ligt op een afstand van circa 460 m ten noorden van het plangebied. Daarmee wordt voldaan aan de afstand uit het GGD-advies.

Feitelijk is er op locatie Antoniusstraat sprake van een kleinschalige niet intensieve veehouderijlocatie. Dat is duidelijk gunstig aangezien de GGD bij de afstandsbepaling uitgaat van een groot veehouderijbedrijf.

De locatie maakt onderdeel uit van het oude bestemmingsplan van Meerlo-Wanssum. Het is een kleinschalig bedrijf, van oorsprong een vleeskalverenbedrijf. Inmiddels is het bedrijfs verkocht.

De vigerende milieuvergunning dateert uit 2006 voor het houden van 732 kalveren (en een aantal paarden) op Antoniusstraat 24.

Op de geurkaarten uit 2022 van de gemeente Venray is te zien dat de woningbouwlocatie ruim buiten de contour van 3 Ou valt. De nieuwbouw van een stal aan de Antoniusstraat 24 kan nooit richting het woongebied van Blitterswijck gesitueerd worden vanwege overschrijding van de geurnormen op de dichtbijzijnde woningen aan Antoniusstraat. De geurcontour zal bij mogelijke toekomstige nieuwbouw van de stallen nog verder van de woningbouw komen te liggen.

Op de nieuwe geurkaarten ligt de contour nog verder weg van de woningbouwlocatie.

Gelet het feit dat hier sprake is van een rundveebedrijf, de kleinschaligheid locatie én de afstand is het onwaarschijnlijk dat er een belemmering is en derhalve is er sprake van een evenwichtige toedeling van functies aan locaties.

5.1.4 Zoönose

Een zoönose is een infectieziekte die van dier op mens kan overgaan. In Nederland voorkomende zoönosen zijn COVID-19, de ziekte van Lyme, Q-koorts, toxoplasmose, salmonellose en vogelgriep. Ongeveer twee derde van de verwekkers van infectieziekten is afkomstig van dieren. Mensen kunnen er op verschillende manieren mee besmet raken? via voedsel of water of lucht, en via direct contact met besmette dieren of besmet dierlijk materiaal zoals mest. Ook kunnen verwekkers van zoönosen via teken en muggen worden overgebracht.

Hoe groot de afstand moet zijn tussen veehouderijen en woningen om zoönosen bij omwonenden te voorkomen te kunnen spreken van een veilige afstand, is op dit moment niet te bepalen. Dit komt door het gebrek aan betrouwbare informatie over de risico’s voor omwonenden en de verschillen in lokale omstandigheden zoals de gehouden diersoorten, het type huizen en het soort zoönose. Wel zijn er onderzoeken gedaan op basis waarvan een afstandsadvies tussen bedrijven onderling kan worden gegeven om besmetting tussen bedrijven te voorkomen. Deze onderzoeken zijn niet specifiek gericht op ziekteverwekkers. In sommige gevallen zijn ziekteverwekkers wel onderzocht, maar dan alleen die ziekteverwekkers waar dieren ook (erg) ziek van worden. Deze onderzoeken waren specifiek gericht op de verspreiding ervan tussen bedrijven met dieren die (zeer) gevoelig zijn voor bepaalde ziekteverwekkers.

Wel is bekend dat het risico op zoönosen voor omwonenden voor een groot deel wordt bepaald door de hygiënestatus op een veehouderijbedrijf. Een bedrijf waar de hygiënemaatregelen correct worden gehanteerd heeft minder insleep (meebrengen van infectieziekten via overgebrachte dieren) en uitstoot van micro-organismen die schadelijk kunnen zijn voor omwonenden.

Aspecten van volksgezondheid, zoals de mogelijke besmetting van dierziekten vanwege nabijgelegen agrarische bedrijven, is een bij de vaststelling van een omgevingsplan mee te wegen belang. De bestrijding van besmettelijke dierziekten vindt echter primair zijn regeling in andere regelgeving. Voorts kunnen aan te verlenen omgevingsvergunningen voorschriften worden verbonden om de gevolgen voor de volksgezondheid te voorkomen dan wel te beperken.

Uit de studies Veehouderij en Gezondheid van Omwonenden blijkt dat mensen die binnen 2 km rondom geitenhouderijen wonen een grotere kans hebben op een longontsteking. Wat deze toename veroorzaakt is nog onduidelijk. Er loopt onderzoek naar de oorzaken van de longontstekingen.

De provincie Limburg heeft in de Omgevingsvisie Limburg gekozen voor het voorlopig handhaven de bestaande geitenstop, waartoe in 2019 een voorbereidingsbesluit was genomen, op basis waarvan het verboden was om het direct aan de inwerkingtreding van dat voorbereidingsbesluit voorafgaande bestaande gebruik van bouwwerken of gronden binnen het gehele grondgebied van de provincie Limburg te wijzigen in gebruik ten behoeve van het houden van geiten. Onder wijzigen wordt ook verstaan een uitbreiding van het aanwezige aantal geiten binnen een inrichting.

Locatiespecifiek:

In een straal van circa 9 km rondom de nieuw te realiseren woningen bevinden zich geen geitenhouderijen.

5.1.5 Spuitzones

Aan de zuidzijde van het plangebied zijn agrarische percelen van derden gesitueerd, die agrarisch (mogen) worden gebruikt voor het telen van gewassen. Akkerbouwgewassen en ook containerteelten worden beschermd door middel van gewasbeschermingsmiddelen. Bij het toebrengen van deze middelen kan de spuitvloeistof ten gevolge van luchtstroming verplaatst worden naar omliggende percelen. Dit wordt 'drift' genoemd. Voor wat betreft het spuiten van gewassen zijn geen wettelijke voorschriften over de minimaal aan te houden afstanden tussen gronden waarop bomen en andere gewassen in de open lucht worden gekweekt, en nabijgelegen gevoelige objecten. Het ontbreken van dergelijke voorschriften laat echter onverlet dat in het kader van een evenwichtige toedeling van functies aan locaties een afweging van alle bij het gebruik van de gronden betrokken belangen dient plaats te vinden, waarbij de aan te houden afstand tussen akkerbouwgronden en gevoelige objecten zodanig gekozen dient te worden dat een aanvaardbaar leefklimaat kan worden gegarandeerd. De Afdeling Bestuursrechtspraak van de Raad van State heeft eerder overwogen dat toepassing van de vuistregel om een afstand aan te houden van 50 m tussen gevoelige functies en agrarische bedrijvigheid waarbij gewasbeschermingsmiddelen worden gebruikt, in het algemeen niet onredelijk is (uitspraak van 27 mei 2015 in zaak nr. 201410309/1/R6). Dit brengt echter niet reeds met zich dat een kortere afstand in dit geval niet redelijk zou kunnen zijn. Dit hangt mede samen met de hoogte van de gewassen (hoe hoger, des te meer sprake er kan zijn van drift), windrichting, soort bestrijdingsmiddelen en frequentie van spuiten.

De heersende windrichting in de regio is zuid-west, zoals uit onderstaande gegevens van het KNMI blijkt:

afbeelding "i_NL.IMRO.0984.TAM25015-ON01_0019.png"

Bron Klimaatviewer KNMI

Binnen het plangebied zullen zes woningen worden gerealiseerd. Een woning is een gevoelig object waardoor bij de situering van de woning en inrichting van het perceel rekening dient te worden gehouden met het gebruik van gewasbeschermingsmiddelen op in de omgeving gelegen agrarische percelen.

Om te voorkomen dat gewasbeschermingsmiddelen tot over het plangebied zullen reiken, zullen de agrarische gronden welke zijn gelegen in een straal van 50 m rondom de nieuwe functie Wonen, in onderhavige omgevingsplanwijziging meegenomen worden en zullen de aanduiding 'milieuzone - spuitvrije zone' krijgen. Omdat voor de gronden met de functie 'Agrarisch' het overgangsrecht zal worden uitgesloten, wordt daarmee voorkomen dat binnen een straal van 50 m rondom de woonpercelen spuitactiviteiten mogen plaatsvinden. Betreffende grondeigenaren hebben aan initiatiefnemer en het bevoeg gezag schriftelijk bevestigd dat er op deze delen van de percelen nu en in de toekomst geen gebruik gemaakt zal worden van gewasbeschermingsmiddelen.

Op deze manier kan worden voldaan aan de regels met betrekking tot spuitzones en is er sprake van een goede en gezonde leefomgeving ter plaatse van de nieuwe woningen.

5.1.6 Gezondheidseffect project

Het enige negatieve gezondheidseffect van dit project is de hinder gerelateerd aan de bouw en het gebruik van de woningen. Hier staat tegenover dat de op basis van het vigerende omgevingsplan toegestane bedrijfsactiviteiten geheel komen te vervallen en er een spuitvrije zone wordt gelegd op aangrenzende agrarische gronden waardoor omwonenden ook zijn gebaat en waardoor het negatieve gezondheidsaspect gerelateerd aan het gebruik van gewasbeschermingsmiddelen tot het verleden behoort. Per saldo wegen de beperkte negatieve gezondheidseffecten niet op tegen de negatieve effecten die tot het verleden behoren, zodat onderhavig initiatief positieve effecten heeft op de gezondheid in de omgeving.

5.1.7 Conclusie

Het project leidt niet tot gezondheidsrisico's voor omliggende functies en andersom wordt de gevoelige functie binnen het project niet belemmerd door van buiten komende gezondheidsrisico's.

5.2 Geluid

In deze paragraaf komt aan de orde op welke wijze bij de activiteit rekening wordt gehouden met het aspect geluid. Het betreft geluid door activiteiten (wegen, spoorwegen en industrieterreinen e.d.) en specifieke activiteiten (windturbines e.d.)

5.2.1 Geluid door wegen, spoorwegen en industrieterreinen
5.2.1.1 Wettelijk kader

De aanvaardbaarheid van de geluidsbelasting onder de Omgevingswet is vooral een decentrale afweging. Gemeenten geven met het omgevingsplan voor elke locatie in de gemeente de gewenste geluidskwaliteit vorm. Geluid kan van grote invloed zijn op het woon- en leefklimaat van mensen en op hun gezondheid. Het Bkl bevat geluidsregels die via het omgevingsplan zullen gelden voor individuele bedrijven die geluid voortbrengen. Voor de andere belangrijke geluidsbronnen zoals industrieterreinen, wegen en spoorwegen worden via de Aanvullingswet geluid en het Aanvullingsbesluit geluid regels toegevoegd aan de Omgevingswet en het Bkl. De regels voor geluid hebben een tweezijdige werking om de bescherming tegen geluidsbelasting vorm te geven. Enerzijds bij de aanleg of aanpassing van spoorwegen of industrieterreinen en anderzijds bij het mogelijk maken van nieuwe geluidsgevoelige gebouwen en locaties nabij een geluidsbron.

De geluidinhoudelijke doelstellingen zijn:

  • het voorkomen van een onbeheerste groei van de geluidsbelasting op en in geluidsgevoelige gebouwen en locaties;
  • het reduceren van geluidbelastingen op en in geluidsgevoelige gebouwen en locaties die blootstaan aan zeer hoge geluidsbelastingen;
  • het bevorderen van bronmaatregelen;
  • het scheppen van een beter toegankelijk en minder complex geheel van regels:
  • het beperken van de lasten bij de uitvoering van de regels.

Wanneer voor lokale wegen waarvan een geluidaandachtsgebied moet worden bepaald geen verkeersgegevens bekend zijn en van die wegen de verkeersintensiteit hoger kan zijn dan 1.000 motorvoertuigen per etmaal, worden contouren bepaald met de volgende afstanden van de rand van de contour tot de weg:

  • Voor een weg, bestaande uit een of twee rijstroken en een maximumsnelheid van 30 km/u of minder: ten minste 100 m;
  • Voor een weg, bestaande uit een of twee rijstroken en een onbekende maximumsnelheid of een maximumsnelheid van meer dan 30 km/u: ten minste 200 m; en
  • Voor een weg, bestaande uit drie of meer rijstroken: ten minste 350 m.

5.2.1.2 Geluidsgevoelige gebouwen

De geluidsgevoelige gebouwen worden aangewezen in artikel 3.20 Bkl. Het betreft gebouwen, waaronder een gebouw of een gedeelte van een gebouw dat een woonfunctie heeft. De geluidsnormen hebben betrekking op het geluid op de gevel van een geluidsgevoelig gebouw en hebben primair als doel het beschermen van de gezondheid door het stellen van eisen aan het geluid op en rond woningen, waar mensen langdurig verblijven en slapen. Hierbij wordt onderscheid gemaakt tussen de voorgevel, zijgevel en achtergevel.

Gebouwen met een woonfunctie zijn geluidgevoelige gebouwen (artikel 3.21 Bkl). Hieronder vallen alle gebouwen voor woongebruik, zoals woningen en verzorgingshuizen. Hierdoor zijn de gebouwen met een logiesfunctie of kantoren geen geluidgevoelig gebouw. Onder een geluidgevoelig gebouw vallen ook delen van een gebouw met een nevengebruiksfunctie van de woonfunctie (artikel 3.21 lid 1 onder a Bkl).

Overheden betrekken ook het geluid op gebouwen en locaties die het Rijk niet aanwijst als geluidgevoelig in hun afweging. Dat volgt uit de taak 'evenwichtige toedeling van functies aan locaties' (artikel 4.2 Omgevingswet). Een motivatie van de bescherming is in bepaalde concrete situaties nodig. Vaak is een beperkt beschermingsniveau acceptabel en meestal zijn specifieke regels niet nodig.

5.2.1.3 Onderzoek

Een woning is in artikel 3.21 Bkl aangewezen als geluidsgevoelige gebouw met daarin geluidsgevoelige ruimten, zodat het uitvoeren van een akoestisch onderzoek niet noodzakelijk is.

Op 8 oktober 2025 is door HMB een akoestisch onderzoek uitgevoerd. Hierin is geconstateerd:

    • 1. dat het geluid als gevolg van gemeentewegen op de kavels 1, 2 en 3 hoger is dan de standaardwaarde, maar wel voldoet aan de grenswaarde. Op grond van art. 5.78u uit het Bkl kan een omgevingsplan geluid tot aan de grenswaarde toelaten. In onderhavige situatie wordt voldaan aan de voorwaarden die het Bkl daarvoor stelt;
    • 2. dat het gezamenlijke geluid op de kavels 1, 2 en 3 hoger is dan 53 dB. In een later stadium kan daarom aanvullend onderzoek nodig zijn naar eventueel benodigde bouwkundige maatregelen opdat voldaan kan worden aan de eisen aangaande de binnenwaarde. Aanvullend onderzoek is pas mogelijk op het moment dat een definitieve ontwerptekening beschikbaar is;
    • 3. dat de nieuwe woonfuncties geen inbreuk doen op de geluidruimte van omliggende bedrijven/inrichtingen;
    • 4. dat sprake blijft van een 'evenwichtige toedeling van functies aan locaties'.

Vanuit akoestisch oogpunt zijn er geen bezwaren tegen de beoogde ontwikkeling.

Het onderzoek is bijgevoegd als Bijlage 1.

5.2.2 Conclusie

Vanuit het aspect geluid is er geen sprake van een belemmering.

5.3 Kwaliteit van de buitenlucht

In deze paragraaf komt aan de orde op welke wijze bij de activiteit rekening wordt gehouden met het aspect luchtkwaliteit.

5.3.1 Wettelijk kader

De hoofdlijnen voor regelgeving rondom luchtkwaliteitseisen staan beschreven in de instructieregels opgenomen in het Bkl. Ter bescherming van de gezondheid zijn voor het aspect luchtkwaliteit instructieregels opgenomen in paragraaf 5.1.4.1 Bkl. Volgens deze regels gelden zogeheten omgevingswaarden voor onder andere de in de buitenlucht voorkomende stikstofdioxide (NO2) en fijnstof (PM10).

Een activiteit is toelaatbaar als aan één van de volgende voorwaarden wordt voldaan:

  • er is geen sprake van een feitelijke of dreigende overschrijding van een grenswaarde;
  • het project leidt per saldo niet tot een verslechtering van de luchtkwaliteit;
  • het project draagt alleen niet in betekenende mate bij aan de luchtverontreiniging;

Voor een activiteit die niet in betekende mate (NIBM) bijdraagt aan de luchtverontreiniging, is geen toetsing aan de rijksomgevingswaarden voor stikstofdioxide en fijnstof nodig. Uit artikel 5.53 en 5.54 Bkl volgt dat een project niet in betekende mate bijdraagt aan de luchtkwaliteit als de toename van de concentratie NO2 en PM10 niet hoger is dan 1,2 ug/m3. Dat is 3% van de omgevingswaarde voor de jaargemiddelde concentraties.

Aandachtsgebieden 
Aandachtsgebieden zijn locaties met hogere concentraties stikstofdioxide (NO2) en/of fijnstof (PM10). De aandachtsgebieden zijn opgenomen in artikel 5.51 lid 2 Bkl. Gemeenten die onder agglomeraties vallen staan in artikel 2.38 van de Omgevingsregeling.

In enkele situaties moet de luchtkwaliteit altijd worden beoordeeld:

  • bij een omgevingsvergunning voor een milieubelastende activiteit
  • bij de aanleg van een tunnel langer dan 100 meter, of als een tunnel wijzigt en daarbij minimaal 100 meter toeneemt;
  • bij de aanleg van een autoweg of een autosnelweg.

Artikel 5.54 (standaardgevallen niet in betekenende mate luchtkwaliteit) van het Bkl geeft het volgende aan:

Het toelaten van activiteiten leidt in ieder geval tot een verhoging van de kalenderjaargemiddelde concentratie van stikstofdioxide en PM10 van 1,2 ug/m3 of minder als bedoeld in artikel 5.53 voor zover het gaat om een verhoging als gevolg van het toelaten van:

  • a. gebouwen met een kantoorfunctie en nevengebruiksfuncties daarvan, met:
    • 1. één ontsluitingsweg: een bruto-vloeroppervlakte van ten hoogste 100.000 m2;
    • 2. twee ontsluitingswegen: een gelijkmatige verkeersverdeling en een bruto-vloeroppervlakte van ten hoogste 200.000 m2;
  • b. gebouwen met een woonfunctie en nevengebruiksfuncties daarvan, met:
    • 1. één ontsluitingsweg: ten hoogste 1.500 woningen; of
    • 2. twee ontsluitingswegen: ten hoogste 3.000 woningen;
  • c. zowel gebouwen met een kantoorfunctie als gebouwen met een woonfunctie en nevengebruiksfuncties van die gebruiksfuncties, met:
    • 1. één ontsluitingsweg: het aantal woningen maal 0,0008 en een bruto-vloeroppervlakte van kantoorfuncties en nevengebruiksfuncties daarvan in vierkante meter maal 0,000012 dat samen opgeteld kleiner is dan of gelijk is aan 1,2; of
    • 2. twee ontsluitingswegen: een evenredig aantal woningen en een evenredig grote bruto-vloeroppervlakte van kantoorfuncties;
  • d. het telen van gewassen in kassen, bedoeld in artikel 3.205 van het Besluit activiteiten leefomgeving, voor zover het gaat om:
    • 1. niet-verwarmde kassen; of
    • 2. verwarmde kassen niet groter dan 2 ha;
  • e. het telen van gewassen in de open lucht en het behandelen van gewassen direct voor of na de teelt, bedoeld in artikel 3.208 van het Besluit activiteiten leefomgeving;
  • f. het telen van gewassen in een gebouw, anders dan een kas, bedoeld in artikel 3.211 van het Besluit activiteiten leefomgeving, voor zover het gaat om:
    • 1. witloftrek; of
    • 2. teelt van eetbare paddenstoelen; of
  • g. het exploiteren van een spoorwegemplacement, bedoeld in artikel 3.295b van het Besluit activiteiten leefomgeving, voor zover het gaat om het begin van de activiteit of een wijziging die leidt tot een toename van het aantal dieseltractie-uren van ten hoogste 7.500 per jaar.

5.3.2 Onderzoek

Het project voor de bouw van zes woningen is, in vergelijking met een project met 1500 woningen dat niet in betekekende mate bijdraagt aan de verslechtering van de luchtkwaliteit, dermate gering van omvang en impact dat ook dit project niet in betekenende mate bijdraagt aan de verslechtering van de luchtkwaliteit.

De woningen zijn echter ook objecten die moeten voldoen aan het blootstellingscriterium. In het kader van een evenwichtige toedeling van functies aan locaties dient te worden bezien of de luchtkwaliteit ter plaatse goed genoeg is om een goed woon- en leefklimaat te kunnen waarborgen. Voor de concentratie van NO2, PM10 en PM2,5 is gebruik gemaakt van de concentraties uit de monitoringstool van het Nationaal Samenwerkingsprogramma Luchtkwaliteit. De concentraties NO2 en PM10 bedragen minder dan 10 respectievelijk 15 microgram/m3 en de concentratie PM2,5 bedraagt minder dan 10 microgram/m3. Hieruit blijkt dat de concentraties voor de verschillende stoffen een goede luchtkwaliteit tot gevolg hebben en er dus sprake is van een aanvaardbaar woon- en leefklimaat.

Luchtkwaliteit vormt derhalve geen belemmering voor het project.

5.3.3 Conclusie

Vanuit het aspect luchtkwaliteit is er geen sprake van een belemmering.

5.4 Geur

In deze paragraaf komt aan de orde op welke wijze bij de activiteit rekening wordt gehouden met het aspect geur.

5.4.1 Wettelijk kader

Het Rijk stelt voor een aantal gebouwen specifieke regels aan geurbelasting. Een onderdeel van het tijdelijke omgevingsplan is ook de gemeentelijke geurverordening, waarin kan worden afgeweken van de standaardnorm.

Deze instructieregels van het Bkl voor geur zijn gericht op aangewezen geurgevoelige gebouwen. In de aanwijzing van geurgevoelige gebouwen is de functie bepalend. Hierbij kan gedacht worden aan wonen, onderwijs of zorg. Voor overige gebouwen of locaties bepaalt de gemeente zelf de mate van geurbescherming, vanuit haar taak van het evenwichtig toedelen van functies aan locaties.

In artikel 5.91 Bkl worden de geurgevoelige gebouwen aangewezen die in ieder geval beschermd moeten worden. Hieronder vallen ook gebouwen met een woonfunctie, gebouwen voor onderwijs, gezondheidszorg en kinderopvang. Specifieke beoordelingsregels voor geur voor de milieubelastende activiteit staan in artikel 8.20 Bkl.

Op industrie- en bedrijventerreinen kunnen bedrijfsmatige activiteiten voorkomen die geurhinder veroorzaken. Die activiteiten zijn dan zelf een relevante geurbron. Het bevoegd gezag bepaalt echter zelf welke mate van geurhinder ze aanvaardbaar vindt.

Veehouderijen 
In het omgevingsplan regelt de gemeente de geur van veehouderijen. In paragraaf 5.1.4.6 Bkl staan de instructieregels hiervoor. De instructieregels gelden alleen voor geur van landbouwhuisdieren in een dierenverblijf op een geurgevoelig gebouw en gaan over:

  • Geurnormen in het omgevingsplan
  • Rekenen
  • Afstandeisen
  • Randvoorwaarden

5.4.2 Onderzoek

De gemeente moet in een omgevingsplan en omgevingsvergunning rekening houden met de geur door activiteiten op geurgevoelige gebouwen. Dit volgt uit artikel 5.92 lid 1 van het Besluit kwaliteit leefomgeving (Bkl)

In de Omgevingswet staat dat de overheid bij een evenwichtige toedeling van functies aan locaties in ieder geval rekening moet houden met het belang van het beschermen van de gezondheid (artikel 2.1 lid 4 Omgevingswet).

Rekening houden met geur werkt 2 kanten op:

  • bij het mogelijk maken van het verrichten van activiteiten in de buurt van gevoelige gebouwen
  • bij het toelaten van geurgevoelige gebouwen in de buurt van bestaande geurveroorzakende bedrijven

Gebouwen met een woonfunctie zijn in ieder geval geurgevoelige gebouwen (artikel 5.91 Bkl).

Paragraaf 22.3.6 van het Omgevingsplan Venray bepaalt dat de waarde voor geur ouE/m3 als 98-percentiel op een geurgevoelig object bij geur door het houden van landbouwhuisdieren met geuremissiefactor niet meer mag bedragen dan:

afbeelding "i_NL.IMRO.0984.TAM25015-ON01_0020.png"

Voor zowel dieren met als voor dieren zonder geuremissiefactor geldt altijd een minimumafstand tussen de buitenzijde van een dierenverblijf en de buitenzijde van een geurgevoelig object. Dit betreft 100 meter binnen de bebouwde kom en 50 meter buiten de bebouwde kom.

In de ruime omgeving van het plangebied bevindt zich één actieve veehouderij. De geurhindercontouren van deze omliggende veehouderijen in relatie tot onderhavig plangebied zijn op onderstaande afbeelding in kaart gebracht:

afbeelding "i_NL.IMRO.0984.TAM25015-ON01_0021.png"

Figuur: geurcontouren ten opzichte van plangebied

Door de toevoeging van zes woningen zullen omliggende bedrijven niet gehinderd worden in hun bedrijfsvoering omdat er op kortere afstand van die bedrijven reeds geurgevoelige objecten (burgerwoningen) zijn gelegen.

Verder volgt uit bovenstaande afbeelding dat ter plaatse van het plangebied sprake is van een zeer goed woon- en leefklimaat.

5.4.3 Conclusie

Op basis van voorgaande kan geconcludeerd worden dat dit project geen belemmeringen oplevert voor de ontwikkeling van veehouderijbedrijven en dat ter plaatse van het plangebied voor wat betreft geur sprake is van een aanvaardbaar woon- en leefklimaat.

Er is geen sprake van een belemmering dus het initiatief is uitvoerbaar met betrekking tot het aspect geur.

5.5 Bodemkwaliteit

In deze paragraaf komt aan de orde op welke wijze bij de activiteit rekening wordt gehouden met het aspect bodem.

5.5.1 Wettelijk kader

Ter bescherming van de gezondheid en het milieu zijn voor het aspect bodem instructieregels in het Bkl opgenomen. De inhoud van deze regels is via het Aanvullingsbesluit bodem Omgevingswet opgenomen in paragraaf 5.1.4.5 Bkl. Het aanvullingsbesluit bepaalt voor welke activiteiten kan worden volstaan met een melding. Er worden drie basisvormen van bodemgebruik onderscheiden: landbouw/natuur, wonen en industrie. De kaders zijn gebaseerd op de risicogrenswaarden die voor de betreffende situaties zijn afgeleid.

De algemene doelstelling van het bodembeleid is het waarborgen van de gebruikswaarde van de bodem en het faciliteren van het duurzaam gebruik van de functionele eigenschappen van de bodem, door in onderlinge samenhang:

  • beschermen van de bodem tegen nieuwe verontreinigen en aantastingen;
  • evenwichtig toedeling van functies aan locaties, rekening houdend met de kwaliteiten van de bodem;
  • duurzaam en doelmatig beheren van de resterende historische verontreinigingen en -aantastingen.

De waarde voor de toelaatbare kwaliteit van de bodem mag niet hoger zijn dan het blootstellingsniveau van het maximaal toelaatbaar risico voor de mens. De toelaatbare kwaliteit van de bodem is een voorwaarde voor bouwen op verontreinigde bodem en is geen omgevingswaarde.

5.5.2 Onderzoek

In verband met het realiseren van een nieuwe woning dient aan de hand van een verkennend bodemonderzoek te worden onderzocht of de kwateit van de bodem geschikt is voor de nieuwe woonfunctie.

Hiertoe is op 7 juli 2025 een onderzoek verricht door HMB. Hieruit is het volgende gebleken:

'Voormalige bedrijfsactiviteiten (deellocatie A)

Ter plaatse van deellocatie A zijn in de bovengrond verhoogde gehalten zink, minerale olie en PCB aangetoond boven de normwaarden 'landbouw/natuur'. In de ondergrond zijn geen verhoogde gehalten aangetoond. De verhoogde gehalten zijn vermoedelijk het gevolg van het decennialange gebruik van de locatie voor menselijke (bedrijfs)activiteiten.

In het grondwater is een verhoogd gehalte zink boven de streefwaarde aangetoond. Het aantreffen van verhoogde gehalten zware metalen (waaronder zink) in het grondwater is in de regio een bekend verschijnsel. Het gehalte zink wordt derhalve toegeschreven als van nature verhoogde achtergrondconcentratie.

Olie-/waterafscheider (deellocatie C)

Ter plaatse van de olie-/waterafscheider zijn verhoogde gehalten kobalt, zink en PCB aangetoond boven de normwaarden 'landbouw/natuur'. In het grondwater is een verhoogd gehalte tetrachlooretheen boven de streefwaarde aangetoond. De verhoogde gehalten in zowel de grond als het grondwater zijn vermoedelijk het gevolg van het decennialange gebruik van de locatie voor menselijke (bedrijfs)activiteiten.

Voormalige bovengrondse tank (deellocatie D)

Ter plaatse van de voormalige bovengrondse tank (deellocatie D) is een sterke verontreiniging aangetoond met minerale olie. De omvang van de sterke verontreiniging is niet geheel bekend. Echter, de sterke verontreiniging lijkt zich te beperken tot een diepte van 0,7 m-mv. Vermoedelijk is de sterke verontreiniging het gevolg van de voormalige bovengrondse tank die op de locatie heeft gestaan tot circa 2024.

Druppelzone asbestverdachte dakbedekking (deellocatie E)

Ter plaatse van deellocatie E is een verhoogd gehalte PCB aangetoond boven de normwaarde 'landbouw/natuur'. Tevens is er asbest aangetoond in een gehalte boven de rapportagegrens. Het gehalte asbest blijft onder de geldende normen (grenswaarde en interventiewaarde). De verhoogde gehalten asbest en PCB kunnen vermoedelijk worden toegeschreven aan decennialange blootstelling van de bodem aan hemelwater dat van de asbesthoudende dakbedekking is afgedruppeld.

Resumé  

De vastgestelde milieuhygiënische bodemkwaliteit vormt, met uitzondering van de sterke verontreiniging met minerale olie ter plaatse van deellocatie D, geen belemmering voor de aanvraag van een omgevingsvergunning.

Indien grond ontgraven en/of afgevoerd dient te worden dan dienen de te verwachten verschillende kwaliteiten grond gescheiden ontgraven en, indien nodig, gescheiden opgeslagen en/of afgevoerd te worden.

Aanbevelingen 

De omvang en ernst van de sterke verontreiniging met minerale olie is niet in voldoende mate vastgesteld. De onderzoeksresultaten geven aanleiding om nader bodemonderzoek naar de verontreiniging met minerale olie te adviseren.

Het onderzoek is, voor zover van toepassing, onder certificaat (KWALIBO) uitgevoerd, maar een bodemonderzoek is geen partijkeuring. Door derden kan, ongeacht de resultaten van dit bodemonderzoek, een keuring van een af te voeren partij grond verlangd worden. Bij afvoer van grond van de locatie kan er sprake zijn van verwerkingskosten.'

Het verkennend bodemonderzoek is opgenomen als Bijlage 2 bij deze motivering.

Op 9 september 2025 heeft voor deellocatie D een vervolgonderzoek plaatsgevonden. Uit het onderzoek (Bijlage 3) blijkt het volgende:

'Aanleiding tot het uitvoeren van het onderzoek zijn de voorgenomen aanvraag van een omgevingsvergunning en de resultaten van een verkennend bodemonderzoek (HMB B.V., kenmerk: 25244102A, 7 juli 2025). Uit de resultaten blijkt dat de grond ter plaatse van de voormalige bovengrondse tank sterk verontreinigd is met minerale olie en matig verontreinigd is met xylenen.

Tijdens het veldwerk is echter in het bijgebouw, gelegen ten zuiden van het bedrijfspand, nog een opslag van olieproducten aangetroffen. Deze opslag was ten tijde van het verkennend bodemonderzoek niet bekend en dus niet eerder onderzocht op eventuele bodemverontreiniging. De olieproducten zijn opgeslagen boven een lekbak, geplaatst op een tegelverharding.

Op basis van de visuele waarnemingen – waaronder donkere verkleuringen van de tegels – bestaat het vermoeden dat er in de loop der jaren gemorst is op deze locatie. Om deze reden is besloten om de betreffende opslaglocatie gelijktijdig met het nader bodemonderzoek in het onderzoek te betrekken.

Conclusie nader bodemonderzoek

De (sterke) verontreiniging met minerale olie is waarschijnlijk veroorzaakt door de voormalige bovengrondse brandstoftank, die in 2024 van het terrein is verwijderd.

De verontreiniging is derhalve ontstaan na 1987 en vóór de inwerkingtreding van de Omgevingswet. Voor dergelijke verontreinigingen geldt de zogenoemde 'zorgplicht voor de bodem' welke in de Wet Bodembescherming (artikel 13) is vastgelegd. Op grond van deze zorgplicht is er een wettelijke verplichting tot het saneren van de vastgestelde verontreiniging.

Uit de resultaten van de uitgevoerde bodemonderzoeken blijkt dat de verontreiniging in de grond aangetoond wordt over een oppervlakte van circa 13 m2. Verticaal wordt de sterke tot lichte verontreiniging aangetoond in het traject van 0,0 – 1,5 m-mv. De omvang van de grondverontreiniging (gehalten>normwaarde landbouw/natuur) bedraagt naar schatting circa 15 m³. Van de betreffende verontreiniging is circa 2 m³ sterk verontreinigd (gehalten>interventiewaarden) met minerale olie en matig verontreinigd met xylenen (gehalten > matig verontreinigd).

De verontreiniging met minerale olie (en vluchtige aromatische koolwaterstoffen) ter plaatse van de voormalige bovengrondse brandstoftank vormt, gelet op de zorgplicht, een directe belemmering of beperking voor het gebruik van de locatie (wonen) en de voorgenomen vergunningsaanvraag.

Conclusie verkennend bodemonderzoek (opslag olieproducten)

Ter plaatse van de opslag van olieproducten is in het traject van 0,1 tot 0,3 m-mv een matige verontreiniging met minerale olie vastgesteld (gehalten > matig verontreinigd). De verhoogde gehalten zijn vermoedelijk te relateren aan de waargenomen olie-waterreacties c.q. de opslag/morsen van de oliehoudende producten.

Ook deze verontreiniging is vermoedelijk ontstaan na 1987 en vóór de inwerkingtreding van de Omgevingswet. Voor dergelijke verontreinigingen geldt de zogenoemde 'zorgplicht voor de bodem' welke in de Wet Bodembescherming (artikel 13) is vastgelegd. Op grond van deze zorgplicht is er een wettelijke verplichting tot het saneren van de vastgestelde verontreiniging.

Uit de resultaten van het uitgevoerde aanvullend bodemonderzoek blijkt dat de verontreiniging in de grond bij de olieopslag aangetoond wordt over een oppervlakte van circa 4 m2. Verticaal wordt de verontreiniging aangetoond in het traject van 0,0 – 1,0 m-mv. De omvang van de grondverontreiniging (gehalten> matig verontreinigd) bedraagt naar schatting circa 4 m³. Hierbij wordt opgemerkt dat de verontreiniging verticaal niet geheel is afgeperkt.

De verontreiniging met minerale olie (en vluchtige aromatische koolwaterstoffen) ter plaatse van de olieopslag vormt, gelet op de zorgplicht, een directe belemmering of beperking voor het gebruik van de locatie (wonen) en de voorgenomen vergunningsaanvraag.

Aanbevelingen 

Op basis van het huidige onderzoek zijn de contouren van de twee verontreinigingsspots in voldoende mate in beeld. Een vervolgonderzoek wordt vooralsnog niet noodzakelijk geacht.

Voor nieuwe gevallen van bodemverontreinigingen veroorzaakt tussen 1 januari 1987 (datum van inwerkingtreding van de Wbb) en 1 januari 2024 (inwerkingtreding van de Omgevingswet), geldt overgangsrecht. Voor deze situaties blijft de zorgplicht van artikel 13 Wet bodembescherming gelden. Daarmee dient de aangetoonde verontreiniging zoveel als mogelijk ongedaan te worden gemaakt.

Voorafgaand aan de werkzaamheden dient een melding saneren te worden verricht. De sanering moet uitgevoerd en gecontroleerd worden door erkende bedrijven (BRL SIKB 6000 – protocol 6001 en BRL SIKB 7000 – protocol 7001). Met betrekking tot de veiligheid dient de CROW 400 in acht genomen te worden.

Ten behoeve van de sanering dient een plan van aanpak opgesteld te worden/een melding verricht te worden voor de sanering van de verontreinigde grond. In het plan van aanpak/de melding wordt een uitvoeringsmethode omschreven om de bodem op een zo efficiënt mogelijke wijze te saneren. Het saneringsplan dient goedgekeurd te zijn door het bevoegd gezag/de gemeente Venray.'

Op 16 september 2025 is door HMB een plan van aanpak voor de bodemsanering opgesteld; dit plan is toegevoegd als Bijlage 4.

5.5.3 Conclusie

Vanuit het aspect bodem is er geen sprake van een belemmering, vanwege het feit dat voor de bodemsanering een voorwaarde toegevoegd is in artikel 8.3.2 onder l van de planregels. Sanering dient plaats te vinden voordat de omgevingsvergunning wordt aangevraagd.

5.6 Parkeren en verkeer

In deze paragraaf komt aan de orde op welke wijze bij de activiteit rekening wordt gehouden met het aspect parkeren en verkeer.

5.6.1 (Wettelijk) kader

Bij het toelaten van een nieuwe functie moet worden aangetoond wat het effect is op de bereikbaarheid en verkeersafwikkeling. Daarbij dient in beeld te worden gebracht of er sprake is van een (extra) parkeerbehoefte voor auto's, fietsen en/of scooters. Er mag geen onaanvaardbaar effect zijn.

De activiteit dient getoetst te worden aan het gemeentelijk beleid.

Op basis van de CROW-parkeernormen welke de gemeente Venray onverkort hanteert, kan berekend worden hoeveel parkeerplaatsen er nodig zijn. Op deze wijze kan worden aangetoond dat er voldoende parkeergelegenheid aanwezig is of gerealiseerd kan worden.

5.6.2 Onderzoek
5.6.2.1 Verkeer

De hoofdontsluiting van/door Blitterswijck bestaat uit de Oude Heerweg/Ooijenseweg (de doorgaande weg van Wanssum naar Broekhuizenvorst). Binnen de bebouwde kom is dit een gebiedsontsluitingsweg 30kmh (GOW-30). Zoals eerder gezegd wordt de ruimtelijke structuur van Blitterswijck grotendeels bepaald door de historische linten waaronder deze doorgaande weg en enkele erftoegangswegen. In de bebouwde kom van Blitterswijck geldt overal een maximum snelheid van 30 km/uur.

Ook door de ligging van de Maas is de ruimtelijke structuur van Blitterswijck bepaald. De Maas maakt onderdeel uit van een groot netwerk van vaarwegen. De transportbewegingen die over deze rivier plaatsvinden hebben echter weinig tot geen invloed op het kerkdorp.

In de omgeving van het plangebied is een openbaar vervoersmogelijkheid. Buslijn 298 doet Blitterswijck aan, met de verbinding van en naar Venray. De bushalte ligt op circa 100 meter loopafstand van het plangebied.

Het plan leidt niet tot substantieel extra verkeersbewegingen. De verkeersbewegingen zullen beperkt blijven tot bewoners- en bezoekersverkeer, gerelateerd aan zes woningen. Op basis van de CROW richtlijnen is de verkeersgeneratie per grondgebonden koopwoning 8; voor de zes woningen gaat het dus om in totaal 48 verkeersbewegingen. De huidige verkeersgeneratie in relatie tot de bedrijfsfunctie binnen het plangebied bedraagt ten minste 51 stuks, uitgaande van een arbeids- en bezoekersextensief bedrijf.

Het project heeft in het grote geheel geen wezenlijke consequenties voor de wegenstructuur en verkeersveiligheid; de nieuwe woningen zijn goed bereikbaar voor zowel bewoners en bezoekers alsook voor hulpdiensten.

5.6.2.2 Parkeren

De parkeernorm van de gemeente Venray ('Beleidsnota Parkeernormen Venray ' en het CROW) betreft voor grondgebonden woningen 2 parkeerplaatsen. Per woning zal ruimte voor 2 auto's op eigen terrein worden gereserveerd. Deze parkeerplaatsen zullen bij voorkeur naast elkaar worden gerealiseerd en qua maatvoeringen voldoen aan de eisen uit de beleidsnota (2,5 x 5 m per parkeerplaats).

Op onderstaande schets is te zien dat elke woning 2 parkeerplaatsen op eigen erf heeft. Afhankelijk van de definitieve positionering van de woningen en bijbehorende bouwwerken zullen de parkeerplaatsen bij voorkeur naast elkaar worden gesitueerd, althans zodanig dat ze onafhankelijk van elkaar te gebruiken zijn. Bij twee woningen lukt dit naar verwachting niet, gezien de beschikbare ruimte. Het achter elkaar parkeren op eigen terrein is hier sowieso wel mogelijk. Vergelijkbaar met overige bestaande woningen in de straat. Daarbij is er nog voldoende capaciteit om in de Oude Heerweg te parkeren in openbaar gebied, op loopafstand. Dit leidt uiteindelijk voor dit minimaal aantal woningen niet tot een hoge parkeerdruk in de straat. Bij woning 3 is uiteindelijk nog de mogelijkheid om het bijgebouw iets dieper op het perceel te situeren. Zo ontstaat er meer ruimte om op het breder uitlopende deel twee auto's naast elkaar te situeren.

afbeelding "i_NL.IMRO.0984.TAM25015-ON01_0022.png"

Situering parkeergelegenheid

Artikel 12.3.1 van de planregels waarborgt dat deze 2 parkeerplaatsen ook zullen worden gerealiseerd.

5.6.3 Conclusie

Vanuit het aspect verkeer en parkeren is er geen sprake van een belemmering.

5.7 Omgevingsveiligheid

In deze paragraaf komt aan de orde op welke wijze bij de activiteit de veiligheid gewaarborgd wordt. Gedoeld wordt op het waarborgen van de veiligheid ter voorkoming van een branden, explosies, gifwolken en dergelijke.

Bij risicovolle activiteiten uit het Besluit Activiteiten Leefomgeving (Bal) wijst het Besluit kwaliteit leefomgeving (Bkl) aandachtsgebieden aan. Het bevoegd gezag dient binnen de aandachtsgebieden bij de vergunningverlening rekening te houden met het groepsrisico; indien sprake is van een verhoogd risico dan gelden aanvullende bouwkundige eisen uit het Besluit bouwwerken leefomgeving (Bbl). De norm van het plaatsgebonden risico (PR) blijft gelijk en daarmee ook het basisbeschermingsniveau.

5.7.1 Wettelijk kader

De hoofdlijnen van het wettelijk kader omtrent de externe veiligheid zijn opgenomen in instructieregels in afdeling 5.1.2 Bkl. In bijlage VII van het Bkl zijn activiteiten aangewezen als risicobronnen. Deze risicobronnen zijn van belang voor de regels over het plaatsgebonden risico en aandachtsgebieden.

Het betreft de volgende activiteiten:

  • Activiteiten met gevaarlijke stoffen bij bedrijven. Dit zijn verschillende milieubelastende activiteiten uit het Besluit activiteiten leefomgeving.
  • Het basisnet vervoer gevaarlijke stoffen (weg, water en spoor).
  • Buisleidingen met gevaarlijke stoffen die zijn aangewezen als milieubelastende activiteit in het Besluit activiteiten leefomgeving.
  • Windturbines die zijn aangewezen als milieubelastende activiteit in het Besluit activiteit leefomgeving.

Aandachtsgebieden (artikel 5.12 t/m 5.15 Bkl) gelden van rechtswege. Deze worden vastgelegd in het Register Externe Veiligheid en zijn digitaal raadpleegbaar. In het deelplan moet binnen deze aandachtsgebieden rekening worden gehouden met het groepsrisico. Hier wordt aan voldaan door in het aandachtsgebied geen beperkt kwetsbare, kwetsbare en zeer kwetsbare gebouwen toe te laten en ook geen beperkt kwetsbare en kwetsbare locaties. Deze gebouwen en locaties zijn wel toelaatbaar als er daarvoor extra maatregelen worden genomen.
In een deelplan dient in principe een aandachtsgebied als voorschriftengebied te worden aangewezen als er met het deelplan kwetsbare gebouwen zijn toegestaan. In een voorschriftengebieden gelden de extra bouweisen van paragraaf 4.2.14 Besluit bouwwerken leefomgeving (hierna: Bbl).

In het Bkl staan instructieregels voor de volgende risicobronnen die zijn aangewezen als milieubelastende activiteit in het Besluit activiteiten leefomgeving:

  • Opslaan, bewerken en herverpakken van vuurwerk (afdeling 5.1.2.4 Bkl).
  • Opslaan en bewerken van ontplofbare stoffen voor civiel gebruik (afdeling 5.1.2.5 Bkl).
  • Exploiteren van een IPPC-installatie voor het maken van explosieven (afdeling 5.1.2.5 Bkl).
  • Opslaan en bewerken van ontplofbare stoffen voor militair gebruik (afdeling 5.1.2.5 Bkl)

5.7.2 Onderzoek

Volgens de omgevingsveiligheidskaart liggen in de directe omgeving van het plangebied géén risicovolle inrichtingen. Ook vindt er in de omgeving geen vervoer van gevaarlijke stoffen (al dan niet via leidingen) plaats. Het plangebied is niet gelegen binnen of in de omgeving van enige risicocontour of aandachtsgebied, zoals op onderstaande uitsnede uit de omgevingsveiligheidskaart is te zien.

afbeelding "i_NL.IMRO.0984.TAM25015-ON01_0023.png"

Uitsnede omgevingsveiligheidskaart

Het plangebied ligt op meer dan 500 m buiten het gifwolkaandachtsgbied van de Maas.

Bij schrijven van 17 juli 2025 heeft de Veiligheidsregio Limburg-Noord zich akkoord verklaard met de planontwikkeling, met het advies om, indien er zaken als zonnepanelen, EOS of andere alternatieve en energiebronnen worden toegepast in de uitvoering van het project, dan in een zo vroeg mogelijk stadium in overleg te treden met de VRLN om nadere eisen/uitganspunten te bespreken. De reactie is als Bijlage 11 bij deze motivering gevoegd.

5.7.3 Conclusie

Vanuit het aspect externe veiligheid is er geen sprake van een belemmering.

5.8 Natuur

In deze paragraaf komt aan de orde op welke wijze bij de activiteit rekening wordt gehouden met het aspect natuur en de gevolgen voor de natuur door stikstofdepositie.

5.8.1 Wettelijk kader

Ter bescherming van de natuur zijn in het Bkl diverse regels opgenomen. Deze regels komen grotendeels overeen met de regels die waren opgenomen in de Wet natuurbescherming die is opgegaan in de Omgevingswet. Het gaat hierbij in de eerste plaats om regels voor de gebiedsbescherming van aangewezen Natura 2000-gebieden, regels voor de soortenbescherming van te beschermen planten diersoorten (waaronder vogels) en regels ter bescherming van houtopstanden.

Het gebieds- en soortenbeschermingsregime vloeit voor een belangrijk deel voort uit twee Europese richtlijnen, te weten de Vogelrichtlijn (79/409/EEG) en de Habitatrichtlijn (92/43/EEG).


5.8.1.1 Gebiedsbescherming

De Europese Vogel- en Habitatrichtlijn beschermt Natura 2000-gebieden. De minister van Landbouw, Natuur en Voedselkwaliteit wijst de Natura 2000-gebieden aan. Op grond van artikel 2.43 Omgevingswet legt hij ook de instandhoudingsdoelstellingen vast. Dit gebeurt in een aanwijzingsbesluit.

Als er naar aanleiding van projecten, plannen en activiteiten, afzonderlijk of in combinatie met andere plannen of projecten, mogelijkerwijs significante effecten optreden, dienen deze bij de voorbereiding van een omgevingsplan in kaart te worden gebracht en beoordeeld. Natura 2000-gebieden hebben een externe werking, zodat ook ingrepen die buiten deze gebieden plaatsvinden en verstoring kunnen veroorzaken, moeten worden getoetst op het effect van de ingreep op soorten en habitats.

Een ruimtelijk plan dat significante gevolgen kan hebben voor een Natura 2000-gebied kan alleen worden vastgesteld indien uit een passende beoordeling de zekerheid is verkregen dat het plan de natuurlijke kenmerken van het gebied niet zal aantasten. Indien deze zekerheid niet is verkregen, kan het plan worden vastgesteld, indien wordt voldaan aan de volgende drie voorwaarden:

  • Alternatieve oplossingen zijn niet voorhanden;
  • Het plan is nodig om dwingende redenen van groot openbaar belang, met inbegrip van redenen van sociale of economische aard; en
  • De noodzakelijke compenserende maatregelen worden getroffen om te waarborgen dat de algehele samenhang van het Natura 2000-netwerk bewaard blijft.

In afdeling 8.6 Bkl staat het beoordelingskader voor de omgevingsvergunning voor Natura 2000-activiteiten.

5.8.1.1.1 Onderzoek

Het plangebied maakt geen onderdeel uit van het Natuurnetwerk Nederland (NNN). Op de volgende afbeelding is de ligging van het plangebied te zien ten opzichte van het NNN (groene vlakken).

afbeelding "i_NL.IMRO.0984.TAM25015-ON01_0024.png"

Kaart natuurnetwerk Nederland

Tevens zijn de Natura 2000-gebieden in de wijde omgeving van het plangebied in beeld gebracht:

afbeelding "i_NL.IMRO.0984.TAM25015-ON01_0025.png"

Natura 2000-gebieden

Het plangebied ligt tussen natura 2000-gebied Maasduinen en Boschhuizerbergen (op een afstand van circa 1,7 resp. 6 km).

Ten behoeve van de instandhouding van de natuurgebieden dienen negatieve effecten te worden uitgesloten. Er dient te worden aangetoond dat met het beoogde plan geen negatieve effecten worden voorzien op de omliggende Natura 2000-gebieden. Bij een projectbijdrage van 0,00 mol/ha/jaar zal het beoogde plan niet voor een significante toename in stikstofdepositie zorgen en kunnen negatieve effecten worden uitgesloten. Wanneer het projecteffect hoger is dan 0,00 mol/ha/jaar dient een vergunning te worden aangevraagd en is nader aanvullend onderzoek noodzakelijk. De vergunning kan alleen worden verleend indien de zekerheid is verkregen dat de natuurlijke kenmerken van het Natura 2000-gebied niet worden aangetast.

De relevante emissies van stikstofoxiden (NOx) en ammoniak (NH3) tijdens gebruiksfase vinden plaats door de verkeersbewegingen van en naar het plan; tijdens de (sloop- en) aanlegfase zijn de emissies te relateren aan bouwverkeer, draaiuren van (niet elektrische) werktuigen en machines.

De realisatie en het gebruik van de nieuwe woningen leidt tot extra stikstofdepositie. Uit de op 11 juni 2025 uitgevoerde aeriusberekening blijkt dat er geen sprake is van een significante toename van stikstofdepositie op Natura 2000-gebieden.

De aeriusberekening is bijgevoegd als Bijlage 5.

In de volgende subparagraaf zal ingegaan worden op mogelijke aantasting van flora en fauna.

5.8.1.2 Soortenbescherming

Onder de Omgevingswet zijn veel dier- en plantsoorten beschermd. De bescherming richt zich op soorten van Europees belang, die onder de reikwijdte van de Vogel- en Habitatrichtlijn vallen, als om bepaalde soorten van nationaal belang. Soortenbescherming vindt plaats binnen en buiten het natuurnetwerk Nederland. Het kan de vorm hebben van wet- en regelgeving, maar ook van fysieke maatregelen die bescherming, vestiging of uitbreiding van een soortenpopulatie stimuleren. Op grond van artikel 2.18 lid 1 sub f Omgevingswet zijn in beginsel de provincies hiervoor verantwoordelijk. Echter, ook decentrale overheden kunnen hierover actief beleid voeren. Hierbij kan worden gedacht aan het vaststellen van bijvoorbeeld een programma voor soortenbescherming.

Door strikte formulering van een flora- en fauna-activiteit moet bij vrijwel alle activiteiten in de fysieke leefomgeving nagegaan worden of:

  • er soorten aanwezig zijn; en
  • welke soorten dat zijn.

In hoofdstuk 11 van het Besluit activiteiten leefomgeving wordt bepaald wanneer een vergunning nodig is.

5.8.1.2.1 Onderzoek

Het plangebied betreft een perceel waarop de voormalige WeJeBe-garage staat. Deze bebouwing zal geheel worden gesloopt en erfverharding zal worden verwijderd.

Om te voorkomen dat er een verstoring van beschermde dier- en plantensoorten plaatsvindt bij de uitvoering van onderhavig project, is op 19 mei 2025 ecologisch veldwerk verricht door Faunaconsult. Bij dat veldwerk is het volgende geconstateerd:

'Vleermuizen: aanvullend onderzoek en mitigatie vooraf

De te slopen garage bevat mogelijk vleermuisverblijven. Het slopen van dit gebouw kan daarom leiden tot verstoring of vernietiging van vleermuizen en hun verblijven. Omdat alle vleermuissoorten streng zijn beschermd, dient het voorkomen van dergelijke verblijven conform het vleermuisprotocol (Vleermuisvakberaad Netwerk Groene Bureaus en Zoogdiervereniging, 2021) te worden onderzocht. Volgens het vleermuisprotocol zijn daartoe 5 onderzoeksronden nodig:

- 3 ronden (2 avonden en 1 ochtend) onderzoek met batdetectors in de kraamtijd 15 mei – 15 juli (waarbij er minimaal 20 dagen zit tussen de twee avonden en tussen één avond en de ochtend);

- 2 ronden (1 avond en 1 ochtend) onderzoek met batdetectors in de paartijd (15 augustus – 1 oktober, waarbij er minimaal 20 dagen zit tussen de twee bezoeken).

Indien blijkt dat er vleermuisverblijven aanwezig zijn, dient er een omgevingsvergunning voor flora- en fauna-activiteiten te worden aangevraagd. Ook dient de functionaliteit van het plangebied te worden gewaarborgd. Dit houdt in dat er op aangepaste wijze wordt gesloopt (zodat er geen vleermuizen worden gedood) en dat er voor elk verblijf dat zijn functie niet meer kan vervullen vier nieuwe vleermuisverblijven worden gecreëerd (BIJ12, 2024). Om vertraging te voorkomen, is het daarom verstandig om vooruitlopend op de resultaten van het vleermuizenonderzoek alvast vleermuiskasten tegen nabijgelegen gebouwen op te hangen. Gewone dwergvleermuizen hebben bijvoorbeeld de tijd nodig om aan nieuwe verblijfplaatsen te wennen. Gedurende deze gewenningsperiode moeten zowel de oorspronkelijke situatie als de nieuw aangebrachte vervangende voorzieningen beide aanwezig zijn (BIJ12, 2024). Het is daarom beter om voor zekerheid te gaan en alvast 4 vleermuiskasten op te hangen van types als VK WS 01, VK WS 02 of VK MP 05 (te bestellen bij vivarapro.nl) of VMT1 of VMT1a (te bestellen bij unitura.nl). Dit dient te gebeuren aan niet te slopen panden binnen een straal van 200 meter van het plangebied (BIJ12, 2024), onder begeleiding van een deskundige. Als blijkt dat er vleermuisverblijven aanwezig zijn die door de sloopwerkzaamheden zullen worden vernietigd, wordt vertraging van de werkzaamheden (in verband met de gewenningsperiode) in de meeste gevallen voorkomen.

Algemeen voorkomende grondgebonden zoogdieren

In het plangebied komen mogelijk zoogdieren voor, die onder de Omgevingswet zijn beschermd. Het gaat om algemeen voorkomende soorten (zogenaamde andere beschermde soorten), waarvoor in Limburg een vrijstelling geldt in geval van ruimtelijke ontwikkeling en beheer en onderhoud. Dit houdt in dat deze soorten verstoord mogen worden, zonder dat daar vooraf een omgevingsvergunning voor flora- en fauna-activiteiten voor is verkregen (deze soorten zijn opgenomen in Bijlage X van de Omgevingsverordening Limburg; Provinciale Staten van Limburg, 2025). Wel geldt altijd de Zorgplicht (artikel 11.27 Bal); deze houdt in dat nadelige gevolgen voor dieren en planten altijd zoveel mogelijk moeten worden voorkomen. Om aan de algemene zorgplicht te voldoen, moeten dieren die tijdens de werkzaamheden worden aangetroffen, zo snel mogelijk naar een aangrenzende locatie buiten het plangebied worden verplaatst.'

Bijbehorende rapportage is als Bijlage 6 bij de planstukken gevoegd.

De rapportage behorende bij het aanvullend vleermuizenonderzoek is opgesteld op 13 oktober 2025. Aan de hand van de resultaten van de inventarisatierondes acht BNL een vergunningaanvraag voor een flora en fauna-activiteit niet noodzakelijk. De rapportage is bijgevoegd als Bijlage 7.

5.8.2 Conclusie

Vanuit het aspect natuur is er geen sprake van een belemmering; het project vormt in beginsel geen belemmering voor dier- of plantensoorten.

5.9 Water en watersystemen

In deze paragraaf komt aan de orde op welke wijze bij de activiteit rekening wordt gehouden met het aspect water en watersystemen.

5.9.1 (Wettelijk) kader

Het wettelijk kader is gericht op het verkrijgen van inzicht in de gevolgen voor de waterhuishouding die samenhangen met de ruimtelijke ontwikkeling die mogelijk wordt gemaakt. Het wettelijk kader is afhankelijk van zowel gemeentelijk beleid als het beleid van het waterschap en de gemeente.

Het plangebied ligt binnen het beheersgebied van het Waterschap Limburg. In het kader van het beleid van zowel de gemeente Venray dient binnen het plangebied een duurzaam waterhuishoudkundig systeem gerealiseerd te worden. Concreet betekent dit dat er sprake moet zijn van gescheiden schoon- en vuilwaterstromen die afzonderlijk worden verwerkt.

Vanuit het waterschap Limburg gelden daarbij de volgende uitgangspunten:

1. Circa 10% van het plangebied reserveren voor water.

Doorgaans zijn lager gelegen gebiedsdelen het meest geschikt. Nagaan of plangebied nodig is voor wateropgave van omliggende gebieden; zorgen dat geen logische waterstructuren worden geblokkeerd.

2. Rekening houden met hoogteverschillen in plangebied en omgeving.

Voorkomen van wateroverlast en erosie door afstromend water vanuit de omgeving naar het plangebied en andersom.

3. Uitvoeren van bodem- en infiltratieonderzoek en bepalen grondwaterstand.

Input voor ontwerpen van het hemelwatersysteem. Denk ook aan bodemverontreinigingen.

4. Toepassen voorkeursvolgorde voor de waterkwaliteit.

Schoonhouden, scheiden, zuiveren.

5. Toepassen voorkeursvolgorde voor de waterkwantiteit.

Hergebruik water, vasthouden in de bodem (infiltratie), tijdelijk bergen, afvoeren naar oppervlaktewater, afvoeren naar gemengd of DWA-riool.

6. Toepassen voorkeurstabel afkoppelen.

Verantwoorde systeemkeuze conform voorkeurstabel; maatwerk per situatie. Bij voorkeur toepassen van bovengrondse waterhuishoudkundige voorzieningen. Bij diepte-infiltratie gelden zeer strenge randvoorwaarden; liever geen diepte-infiltratie toepassen.

7. Voldoende opvangcapaciteit en een duurzame leegloop realiseren.

Infiltratie- en bergingsvoorzieningen in het plan dimensioneren op Infiltratie- en bergingsvoorzieningen in het plan dimensioneren op 100 mm per etmaal voor Noord Limburg (ten noorden van Sittard) en 80 mm per twee uur ten zuiden van Sittard met een beschikbaarheid van de gehele berging binnen 24 uur.

8. Beheer en onderhoud regelen.

Denk aan bereikbaarheid, controlemogelijkheid, verantwoordelijkheid.

5.9.2 Onderzoek

Binnen het plangebied moet een duurzaam waterhuishoudkundig systeem aanwezig zijn om de hoeveelheid regenwater te verwerken dat gelet op het ter plaatse aan de orde zijnd (nieuw) afvoerend verhard oppervlak (bebouwing inclusief erfverhardingen), binnen het plangebied valt.

De K-waarde (geeft de mate van infiltratiegeschiktheid aan) van het plangebied bedraagt volgens de kaart inzake de bodemdoorlatendheid (K-waarde) voor de gemeente Venray van het waterschap 0,45 - 0,75 m/dag. De onderhavige gronden zijn derhalve geschikt voor hemelwaterinfiltratie.

Volgens de bodemkaart van Nederland bestaat de bodem uit sterk lemige enkeerdgronden.

De gemiddelde hoogste grondwaterstand ligt op meer dan 2 meter beneden maaiveld. Het plangebied is niet gelegen binnen een grondwaterbeschermings- en/of grondwaterwingebied.

Bij de bepaling van de capaciteit/kwantiteit van de gekozen infiltratievoorziening wordt, op basis van de eisen zoals neergelegd in de Toetssteen Openbare Ruimte 2019, uitgegaan van een neerslaggebeurtenis waarbij 60 mm neerslag valt in 24 uur. De te realiseren waterbergingsruimte kan dan berekend worden door de toename van het afvoerend verhard oppervlak (m2) te vermenigvuldigen met 0,06 m.

Benodigde buffercapaciteit bedraagt volgens de normen van de gemeente Venray in dat geval: circa 1000 m2 x 0,06 m = 60 m3 voor de woningen met bijbehorende erfverhardingen.

Uitgaande van de normering van het Waterschap, van een neerslaggebeurtenis waarbij 100 mm neerslag valt in 24 uur, dient de te realiseren waterbergingsruimte berekend te worden door de toename van het afvoerend verhard oppervlak (m2) te vermenigvuldigen met 0,1 m, hetgeen voor onderhavig project neerkomt op 100 m3 aan infiltratievoorzieningen.

Gelet op de korte maar hevige stortbuien die zich de afgelopen jaren steeds vaker gaan voordoen in combinatie met de bebouwing rondom het plangebied, is het wenselijk om de hemelwaterinfiltratie-eisen van het Waterschap te hanteren en op die manier voldoende ruimte aan het hemelwater geven. Deze voorzieningen kunnen bijvoorbeeld in de vorm van een infiltratiekrat/grindkoffer onder de verharding worden gerealiseerd, maar ook als open voorziening als onderdeel van de inrichting van de tuin.

Om voldoende hemelwaterinfiltratie te waarborgen is hiertoe een planregel opgenomen, zodat deze verplichting kan worden gekoppeld aan de omgevingsvergunning.

Afvoer van huishoudelijk afvalwater dient plaats te vinden via het aanwezige vuilwaterriool.

Bouwmaterialen

De gemeente Venray streeft naar het terugdringen van het gebruik van uitlogende bouwmaterialen. Dit aspect is als aanbeveling opgenomen in het pakket duurzaam bouwen. Er zal derhalve, voorzover relevant, geen gebruik worden gemaakt van uitlogende bouwmaterialen.

5.9.3 Conclusie

Vanuit het aspect water en watersystemen is er geen sprake van een belemmering.

5.10 Cultureel erfgoed en archeologie

In deze paragraaf komt aan de orde op welke wijze bij de activiteit rekening is gehouden met binnen of buiten de locatie van de activiteit aanwezig cultureel erfgoed en werelderfgoed.

5.10.1 Wettelijk kader

Wat onder cultureel erfgoed wordt verstaan is opgenomen in bijlage A (begrippen) van de Omgevingswet. Het gaat hierbij om monumenten, archeologische monumenten, stads- en dorpsgezichten, cultuurlandschappen en, voor zover dat voorwerp is of kan zijn van een evenwichtige toedeling van functies aan locaties in het omgevingsplan, ander cultureel erfgoed als bedoeld in artikel 1.1 van de Erfgoedwet. De Erfgoedwet bevat de wet- en regelgeving voor behoud en beheer van het cultureel erfgoed en archeologie in Nederland. Het is op basis hiervan verplicht om de facetten historische (steden)bouwkunde en historische geografie mee te nemen in de belangenafweging. Hierbij gaat het om zowel beschermde als niet formeel beschermde objecten en structuren

Voor de bescherming van het landschap geldt voor Nederland het Europees landschapsverdrag. Dit verdrag erkent dat landschappen een onderdeel zijn van de fysieke leefomgeving. In artikel 1.2 lid 1 sub g Omgevingswet worden 'landschappen' als onderdeel van de fysieke leefomgeving aangemerkt. Het landschapsbeleid kan door Rijk, provincie of gemeente in een omgevingsvisie zijn vastgelegd.

5.10.2 Onderzoek

Uit onderstaande uitsnede van de gemeentelijke Archeologische Beleidskaart blijkt dat voor de gronden van het plangebied waarop de toekomstige ontwikkeling zal plaatsvinden, grotendeels de aanduiding “categorie 4” geldt. Deze categorie omvat gebieden met hoge verwachting. Het zuidelijke deel van het plangebied, ligt binnen categorie 2 (monumenten die betrekking hebben op historische kernen).

afbeelding "i_NL.IMRO.0984.TAM25015-ON01_0026.png"

Uitsnede Archeologische beleidskaart

Voor deze categorie 4-gebieden geldt dat bij herinrichting van gebieden een bureauonderzoek wenselijk is om archeologische gebiedskenmerken te onderzoeken, ingeval de verstoring meer dan 500 m2 bedraagt en dieper reikt dan 50 cm onder maaiveld.

Voor categorie 2-gebieden geldt een maximaal verstoringsoppervlak van 50 m2 en eveneens een diepte van 50 cm onder maaiveld.

Op 22 augustus 2025 is door Sweco een archeologisch onderzoek uitgevoerd. Hierin is het volgende geconstateerd:

'Het bureauonderzoek toonde aan dat er zich mogelijk archeologische waarden in het plangebied zouden kunnen bevinden. Daarom is aansluitend een inventariserend veldonderzoek in de vorm van een verkennend booronderzoek uitgevoerd.

Op basis van de resultaten van het verkennend booronderzoek kan worden gesteld dat onder de verharding sprake is van een ophogingspakket, waarbij het in een aantal gevallen gaat om geel bouwzand. Daarnaast is er ook sprake van pakketten die duidelijk zijn geroerd, gekenmerkt door gevlektheid. Mogelijk zijn ook deze pakketten nog opgebracht. Pas tussen de 150 en 220 cm beneden maaiveld zijn natuurlijke afzettingen aangetroffen, waarbij het gaat om de rivierbedding. In de bovenliggende pakketten is echter al sediment van de rivierbedding aanwezig; er lijkt dus geen sprake meer te zijn van een intact archeologisch niveau. Op basis van de bodemingrepen in de 20e eeuw, met de realisatie van de garage met diepgaande funderingen, de bouw en verwijdering van een tankstation in het zuiden van het plangebied (waar zich de historische bebouwing grotendeels heeft bevonden), en de verwijdering van ondergrondse olietanks, wordt niet verwacht dat er nog intacte sporen aanwezig zullen zijn van historische bebouwing.

Op basis van de resultaten van het verkennend booronderzoek kan de gespecificeerde archeologische verwachting worden bijgesteld naar laag voor alle tijdsperioden.

Op grond van de resultaten van het bureau- en veldonderzoek adviseert Sweco om het plangebied vrij te geven.

Als het plangebied nu of in de toekomst door de gemeente Venray wordt vrijgegeven voor bodemroerende werkzaamheden, dan blijft er, volgens artikel 5.10 van de Erfgoedwet uit juli 2016, een meldingsplicht bestaan. Eventuele archeologische resten die bij werkzaamheden worden aangetroffen moeten worden gemeld bij het Ministerie van Onderwijs, Cultuur en Wetenschap, c.q. de Rijksdienst voor het Cultureel Erfgoed. Het is verder raadzaam om ook de gemeente Venray op de hoogte te stellen.

De Omgevingswet regelt dat in het geval van archeologische toevalsvondsten van algemeen belang, niet alleen de minister van OCW, maar ook de gemeente bevoegd is om bodemverstorende werkzaamheden stil te leggen. '

Voornoemd archeologisch onderzoek is als Bijlage 8 bijgevoegd.

Het handhaven van een dubbelbestemming ter bescherming van archeologische waarden is derhalve niet meer noodzakelijk voor het te ontwikkelen deel van het plangebied.

5.10.3 Conclusie

Vanuit het aspect cultureel erfgoed, en archeologie is er geen sprake van een belemmering.

5.11 Bedrijfsmatige activiteiten

5.11.1 Zonering

Bedrijven kunnen hinder opleveren voor gevoelige functies, zoals woningen. Daarom is het belangrijk voldoende afstand aan te houden. Wat voldoende afstand is, is afhankelijk van de aard van de bedrijvigheid. Meestal is geluid de belangrijkste factor. Soms is juist de geurhinder, stofhinder of veiligheid (door opslag van gevaarlijke stoffen) bepalend voor de afstand tot gevoelige functies.

Gemeenten kunnen deels zelf bepalen wat aanvaardbare afstanden of aanvaardbare geluid- of geurhinderniveaus zijn. Daarbij moeten zij wel rekening houden met de landelijk geldende regels.

Bij het toelaten van bedrijven is het van belang dat er geen onaanvaardbare hinder ontstaat voor de omgeving. Bijvoorbeeld door geluid, externe veiligheid of geur. De Vereniging van Nederlandse Gemeenten (VNG) heeft hiervoor de handreiking Milieuzonering nieuwe stijl opgesteld. Kern van deze publicatie is om de toelating van bedrijven te reguleren op basis van een voor een locatie beschikbaar gestelde milieuruimte per bedrijf, aan de hand van concrete milieuwaarden.

5.11.2 Onderzoek

Bij het toelaten van een nieuwe gevoelige functie op een locatie dienen alle milieurelevante aspecten te worden gewogen, waarbij het enerzijds gaat om het effect van de milieubelastende activiteit op de omgeving en anderzijds om het effect van bestaande milieubelastende activiteiten op een nieuwe gevoelige functie.

Een woonfunctie is geen milieubelastende activiteit, maar een gevoelige functie. Als gevolg van de definitieve beëidiging van de bedrijfsmatige functie van het plangebied, zal mogelijk hieraan gerelateerde hinder tot het verleden behoren.

Onderstaande tabel geeft de bedrijven in de omgeving weer, inclusief richtafstanden. Binnen een straal van 100 m rondom het nieuwe woongebied bevinden zich de volgende bedrijven:

Adres   type bedrijf(sbestemming)   richtafstand   afstand nieuwe woongebied  
Beeteweg 7   glastuinbouw   30 m   95 m  

De nieuwe woonfunctie ligt ruim buiten de richtafstand van het agrarische bouwvlak en Binnen 30 m vanuit de rand van het plangebied vinden geen bedrijfsmatige activiteiten plaats.

Hiermee kan worden geconcludeerd dat het realiseren van woningen op deze locatie geen omliggende bedrijven/bedrijfsfuncties belemmert in hun bedrijfsuitoefening, en evenmin wordt het project belemmerd door omliggende functies.

5.11.3 Conclusie

Er kan derhalve worden gesteld dat qua milieuzonering wordt voldaan aan de methodiek van de handreiking Milieuzonering er dat er geen sprake van een belemmering.

5.12 Toetsing Besluit m.e.r./m.e.r.-beoordeling

5.12.1 Wettelijk kader

Onderdeel van de beoordeling of een aanvraag om een Bopa volledig is, is een toets aan de regels over een milieueffectrapportage. Dit gebeurt overeenkomstig paragraaf 16.4.2 van de Omgevingswet en afdeling 11.2 van het Omgevingsbesluit.

5.12.2 Project-mer-plichtig of mer-beoordelingsplichtig

Of een besluit over een project-mer-plichtig of mer-beoordelingsplichtig is, kan worden afgeleid uit bijlage V bij het Omgevingsbesluit, in samenhang met de artikelen 11.6 en 11.8 van het Omgevingsbesluit.

Bijlage V heeft als ingang (eerste kolom) de omschrijving van het project van de initiatiefnemer. In kolom 4 staan de besluiten genoemd waarvoor dan de mer-verplichtingen gelden. Het gaat dan om besluiten waarmee de toestemming voor het project wordt verleend. In dit geval is dat de wijziging van het omgevingsplan.

Of er voor het besluit een mer-plicht of een mer-beoordelingsplicht geldt, volgt uit de tweede en derde kolom. Als het project voldoet aan de voorwaarden van kolom 2, geldt een mer-plicht. Anders geldt een mer-beoordelingsplicht, tenzij ook in kolom 3 nog voorwaarden staan.

5.12.3 Project-mer-beoordeling

Het bevoegd gezag neemt het resultaat van de beoordeling of sprake is van aanzienlijke milieueffecten, bedoeld in artikel 16.43, tweede lid, van de wet, met de bijbehorende motivering op in het besluit en, voor zover hier sprake van is, in het ontwerp van het besluit (artikel 11.11, lid 2 Omgevingsbesluit).

Motivering van de beslissing (art. 11.11 lid 3 Omgevingsbesluit)
In de motivering van de beslissing wordt in ieder geval verwezen naar:

  • de relevante criteria van bijlage III bij de mer-richtlijn;

en

  • als is beslist dat geen milieueffectrapport moet worden gemaakt:

1°. de kenmerken en maatregelen, bedoeld in artikel 11.10, derde lid, als degene die voornemens is het project uit te voeren deze heeft voorgesteld; en

2°. het moment waarop die maatregelen moeten zijn gerealiseerd.

5.12.4 Onderzoek

Het onderhavige TAM-omgevingsplan is kaderstellend voor een project uit bijlage V Omgevingsbesluit, te weten J11: een stedelijk ontwikkelingsproject. Het betreft een kleine woningbouwontwikkeling. In de derde kolom staat dat voor de aanleg, wijziging of uitbreiding van een dergelijk stedelijk ontwikkelingsproject een m.e.r.-beoordelingsplicht geldt op basis van artikel 16.43, lid 1, aanhef en onder b van de Ow. Het onderhavige plan betreft een kleine wijziging van het Omgevingsplan gemeente Venray en gaat over een klein gebied op gemeentelijk niveau waar, na sloop van de bestaande bebouwing waar voorheen een garagebedrijf was gevestigd en op basis van het vigerende omgevingsplan nog een bedrijfsfunctie heeft, het beperkt aantal van 6 woningen wordt gerealiseerd.

Op grond hiervan, en van het gestelde in hoofdstuk 5 van deze motivering kan worden geconcludeerd dat de ontwikkeling, gelet op de aard, omvang en ligging, geen aanzienlijke milieueffecten kent. Belangrijke milieugevolgen kunnen worden uitgesloten. De uitgevoerde onderzoeken geven voldoende inzicht in de milieugevolgen om een gewogen besluit omtrent dit TAM-omgevingsplan te kunnen nemen.

5.12.5 Conclusie

Uit het bovenstaande is gebleken dat er geen mer-(beoordelings)plicht geldt voor onderhavig project.

5.13 Onontplofte oorlogsresten

Doordat er op het grondgebied van Venray in de periode 1944-1945 vele oorlogshandelingen hebben plaatsgevonden bestaat er een risico dat in de grond onontplofte oorlogsresten aanwezig zijn. Dergelijke explosieven zijn een gevaar voor de omgeving en vormen een risicobron wanneer de grond verstoord wordt (bv door graaf- en bouwactiviteiten).

Bij grondwerkzaamheden en nieuwe ontwikkelingen in het plangebied, dient er uit het oogpunt van veiligheid en zorgvuldigheid gezocht te worden naar onontplofte oorlogsresten. Met behulp van het explosievenonderzoek wordt de aanwezigheid en risico's van explosieven uit de Tweede Wereldoorlog in kaart gebracht. De gemeente Venray adviseert bij grondwerkzaamheden en nieuwe ontwikkelingen een detectieonderzoek uit te (laten) voeren. Dit onderzoek is verplicht in het kader van de Arbowetgeving.

In het kader van de planologische procedure is een detectieonderzoek juridisch niet afdwingbaar. Het is echter te allen tijden de verantwoordelijkheid van de eigenaar van de grond om bij grondwerkzaamheden te zorgen voor een gezonde en veilige werkomgeving.

Hoofdstuk 6 BEPERKINGENGEBIEDEN

6.1 Beperkingengebieden

Een beperkingengebied wordt in de Omgevingswet gedefinieerd als een gebied dat bij of krachtens de wet (door Rijk of provincie) is aangewezen, waar vanwege de aanwezigheid van een werk of object, regels gelden over activiteiten die gevolgen hebben of kunnen hebben voor dat werk of object. Dit betekent dat er beperkingen gelden voor activiteiten van derden, ter plaatse van de weg of het waterstaatswerk als ook in de daaraan grenzende (beschermings-) zones.

Het plangebied is niet gelegen binnen een beperkingengebied.

Hoofdstuk 7 Evenwichtige toedeling van functies aan locaties

7.1 Evenwichtige toedeling van functies aan locaties

Op grond van artikel 4.2 Omgevingswet moet het omgevingsplan voldoen aan een evenwichtige toedeling van functies aan locaties. De gemeente moet daarbij rekening houden met alle betrokken belangen. Verder gelden de beleidskaders en instructieregels. In hoofdstuk 4 Beleid, hoofdstuk 5 Omgevingsaspecten en hoofdstuk 6 beperkingengebied is aangegeven dat sprake is van een evenwichtige toedeling van functies aan locaties. In deze paragraaf worden de conclusies uit de genoemde hoofdstukken beschreven. In paragraaf 7.2 wordt beschreven op welke wijze het TAM-omgevingsplan is opgesteld.

7.1.1 Conclusie beleid

Het toevoegen van zes woningen op de voormalige bedrijfslocatie van de WeJeBe-garage aan de Oude Heerweg 23 te Blitterswijck , voldoet aan de voorwaarde dat er bij voorkeur gebouwd moet worden binnen bestaand bebouwd gebied. Dit is passend binnen het Rijks-, provinciaal- en gemeentelijk beleid. Daarmee is het toevoegen van woningen op deze herontwikkelingslocatie een wenselijke ontwikkeling.

7.1.2 Conclusie omgevingsaspecten

De impact van de beoogde ontwikkeling op omgevingsaspecten is beperkt van aard en er treden geen nadelige gevolgen voor het milieu op.

7.2 Wijzigen omgevingsplan

7.2.1 Inleiding

Via dit TAM-omgevingsplan wordt via de IMRO-standaard (Informatiemodel Ruimtelijke Ordening) en de bestaande voorziening Ruimtelijke Plannen het omgevingsplan gewijzigd. Het TAM-omgevingsplan maakt juridisch gezien deel uit van het omgevingsplan, maar heeft technisch gezien het 'oude' format.

De regels van het TAM-omgevingsplan zijn onderverdeeld in:

  • Inleidende bepalingen;
  • Functies en activiteiten;
  • Beschermen van waarden;
  • Algemene regels;
  • Overgangsregels.
7.2.2 Opzet regels

Op 1 januari 2024 is het omgevingsplan van rechtswege ontstaan. Dit omgevingsplan bestaat uit alle ruimtelijke plannen, waaronder bestemmingsplannen en wijzigingsplannen, en uit de Bruidsschat die de gemeente van het Rijk heeft ontvangen. In deze Bruidsschat zitten onder meer regels voor milieubelastende activiteiten en bouwactiviteiten. Gemeenten krijgen tot 1 januari 2032 de tijd om het omgevingsplan van rechtswege en andere regels over de fysieke leefomgeving om te zetten naar een nieuw omgevingsplan. Op grond van artikel 2.4 en 22.6 van de Omgevingswet kan de gemeenteraad het omgevingsplan van rechtswege (laten) wijzigen.

Toepassing TAM-IMRO

De Omgevingswet integreert wetgeving en regels voor ruimte, wonen, infrastructuur, milieu, natuur en water. Het DSO ondersteunt bij de uitvoering van de wet bestaat uit lokale systemen van overheden en de landelijke voorziening (DSO-LV), zoals Regels op de kaart en het Omgevingsloket. Er zijn tijdelijke alternatieve maatregelen (TAM’s) ontwikkeld voor organisaties die nog geen gebruik kunnen maken van lokale of landelijke onderdelen van het DSO. Een van deze TAM’s is TAM-IMRO. Bij TAM-IMRO wordt het omgevingsplan gewijzigd via de – onder de Wet ruimtelijke ordening gebruikte – IMRO-standaard en de voorziening ruimtelijkeplannen.nl.

Het gebruik van TAM-IMRO is toegestaan tot en met 31 december 2025. Als het ontwerp van een TAM-IMRO omgevingsplan uiterlijk 31 december 2025 ter inzage is gelegd, mag het ook na 1 januari 2026 worden afgemaakt met TAM-IMRO.

Werkingsgebied

De regels in dit TAM-IMRO omgevingsplan zijn van toepassing op de locatie Oude Heerweg 23, waarvan de geometrisch bepaalde planobjecten zijn vervat in het GML-bestand NL.IMRO.0984.TAM25015-ON01, zoals vastgesteld op <.....>. In hoofdstuk 1 van deze motivering is een overzichtskaart van het werkingsgebied c.q. plangebied opgenomen.

7.2.2.1 Preambule

In de preambule is opgenomen dat het TAM-IMRO omgevingsplan gelezen moet worden als hoofdstuk in het gemeentelijk omgevingsplan en de artikelen als paragrafen van dat hoofdstuk. Dit om onduidelijkheden met het omgevingsplan van rechtswege te voorkomen.

7.2.2.1.1 Inleidende bepalingen

Hoofdstuk 1 bevat bepalingen die gelden voor het gehele plangebied en bestaat uit:

  • artikel 1 en 2 (aanvullende) Begripsbepalingen: In dit artikel zijn definities van de in de regels gebruikte begrippen opgenomen, voor een eenduidige interpretatie van deze begrippen.
  • artikel 3 Toepassingsbereik: Dit artikel geeft aan voor welk werkingsgebied de regels van toepassing zijn. Tevens wordt aangegeven dat specifieke artikelen uit de Omgevingswet en het Omgevingsplan van rechtswege niet van toepassing zijn indien strijdigheid bestaat met de regels uit het TAM-IMRO omgevingsplan.
  • artikel 4 Meet- en rekenbepalingen: Dit artikel geeft onder meer bepalingen waar mag worden gebouwd en hoe voorkomende eisen betreffende de maatvoering begrepen moeten worden.
  • artikel 5 Aanvraagvereisten: In dit artikel is aangegeven dat de aanvraagvereisten uit artikel 22.5.2 van het omgevingsplan van rechtswege ook van toepassing zijn verklaard op omgevingsvergunningaanvragen vereist op basis van het TAM-IMRO omgevingsplan.
  • artikel 6 Zorgplicht: Dit artikel geeft aan dat een ieder bij de uitvoering van activiteiten als bedoeld in dit plan moet zorgdragen voor de fysieke leefomgeving en nadelige gevolgen voor de fysieke leefomgeving moet voorkomen.

7.2.2.1.2 Functies en activiteiten

In hoofdstuk 2 is opgenomen welke functies binnen het plangebied zijn toegestaan. Per toegestane functie is aangegeven waar en hoe het bouwen ten behoeve van de functie is toegestaan en welk gebruik van gronden en bouwwerken mogelijk is.

De regels, behorende bij de verschillende in het plan voorkomende functies, zijn opgebouwd, volgens een vast stramien. Elk artikel is opgebouwd volgens de onderstaande standaardindeling:

  • Toepassingsbereik;
  • Functieomschrijving;
  • Beoordelingsregels;
  • Nadere eisen;
  • Omgevingsplanactiviteit afwijken beoordelingsregels;
  • Specifieke functieregels;
  • Omgevingsplanactiviteit voor het uitvoeren van een werk, geen gebouw zijnde, of van werkzaamheden.

Één en ander uiteraard voor zover in dit specifieke plan van toepassing.

In paragraaf 6.3 worden de verschillende functies en gebiedsaanduidingen toegelicht en wordt ook per functie aangegeven waarom voor bepaalde gronden voor deze toedeling is gekozen.

7.2.2.1.3 Beschermen van waarden

In hoofdstuk 3 zijn de regels opgenomen die specifieke waarden die concrete functiegebieden overstijgen binnen het plangebied beschermen. In casu gata het dan om de specifieke archeologische waarden.

7.2.2.1.4 Algemene bepalingen

Hoofdstuk 4 bevat de algemene bepalingen. Deze bepalingen gelden voor het gehele plangebied. Dit hoofdstuk is opgebouwd uit:

  • artikel 11 Anti-dubbeltelregeling: Een anti-dubbeltelregeling is op zichzelf binnen het stelsel van de Omgevingswet in het Omgevingsplan niet langer verplicht, maar mag wel opgenomen worden. Er is gekozen om deze regeling te handhaven. De anti-dubbeltelbepaling is opgenomen om te voorkomen dat, wanneer volgens het Omgevingsplan bepaalde gebouwen en bouwwerken niet meer dan een bepaald deel van een bouwperceel mogen beslaan, het opengebleven terrein niet nog eens meetelt bij het toestaan van een ander gebouw of bouwwerk, waaraan een soortgelijke eis wordt gesteld.
  • artikel 12 Algemene beoordelingsregels: Dit artikel bevat regels ten aanzien van het bouwen van ondergrondse bouwwerken en de verplichting tot het voorzien in voldoende waterberging in het kader van een omgevingsvergunning voor de activiteit bouwen.
  • artikel 13 Algemeen gebruiksverbod: In dit artikel is het principe vastgelegd dat gebruik uitsluitend is toegestaan in overeenstemming de ter plekke toegestane functies.
  • artikel 14 Algemene afwijkingsregels: Dit artikel bevat bepalingen ten aanzien van beperkte afwijkingen ten opzichte van de in hoofdstuk 2 toegestane functies en bouwmogelijkheden. Voor deze afwijkingen geldt een omgevingsvergunningplicht.
  • Artikel 15 Algemene aanduidingsregels: Dit artikel bevat bepalingen ten aanzien van de spuitvrije zone en de reconstructiewetzone - verwevingsgebied.
  • Artikel 16: Algemene procedureregels: Dit artikel regelt de procedure ingeval van het opleggen van nadere eisen.
  • Artikel 17: Overige regels: Dit restartikel bevat een regeling inzake het peilmoment voor regelgeving en de verhouding tussen de regels voor functies, activiteiten en (gebieds)waarden.

7.2.2.1.5 Overgangsbepalingen

In hoofdstuk 5 staan de overgangs- en slotbepalingen. In artikel 18 is het overgangsrecht beschreven. Hierin wordt aangegeven wat de juridische consequenties zijn van bestaande situaties die in strijd zijn met het TAM omgevingsplan.

7.2.2.2 Nadere toelichting op de regels

Kenmerk van de Nederlandse regelgeving op het gebied van de fysieke leefomgeving is dat er sprake is van een ‘ja, mits’-principe. Het omgevingsplan geeft voor veel functies aan onder welke voorwaarden ze voorstelbaar/inpasbaar zijn binnen het werkingsgebied of specifieke deelgebieden binnen het werkingsgebied. Het omgevingsplan vormt het juridische toetsingskader dat bindend is voor de burger en overheid en geeft aan welke functies op welke locaties binnen het werkingsgebied voorstelbaar worden geacht (en onder welke voorwaarden).

Binnen STOP-TPOD (de technische werkwijze voor omgevingsplannen) wordt aan regels uit het omgevingsplan zoveel mogelijk een werkingsgebied toegekend. In dit TAM-omgevingsplan is dit uitgangspunt waar mogelijk aangehouden.

  • Agrarisch: deze functie is overgenomen uit het voorgaande omgevingsplan Blitterswijck met als doel om deze functie zoveel mogelijk intact te laten, met dien verstande dat over deze gronden een spuitvrije zone is gelegd ter bescherming van het goede woon- en leefklimaat ter plaatse van de nieuw te realiseren woningen
  • Wonen: bestemd voor wonen in een woning en aan huis verbonden beroepen
  • Waarde - Archeologie 2 en 4: mede bestemd voor het behoud en bescherming van de archeologische waarden. Specifieke gebiedswaarden worden in dit TAM-omgevingsplan toegekend aan gebieden waar hoge en middelhoge archeologische verwachtingen voor gelden, namelijk via de planregels voor de gebieden ‘Waarde Archeologie 2’ en ‘Waarde- Archeologie 4’.

Voor alle planregels die in dit TAM-omgevingsplan zijn opgenomen geldt dat verwijzingen naar artikelen betekent de verwijzing naar een artikel uit dit TAM-omgevingsplan, tenzij expliciet is aangegeven dat het een artikel in het omgevingsplan van de gemeente Venray betreft. Verwijzingen in de planregels naar paragrafen betekent paragrafen in het omgevingsplan van de gemeente Venray.

7.3 Toepassing en handhaving van het plan

Het ontwikkelen van beleid en de vertaling daarvan in een omgevingsplan heeft geen zin, indien na de vaststelling van het omgevingsplan geen handhaving plaatsvindt. Daarom is het belangrijk om al tijdens het opstellen van een omgevingsplan aandacht te besteden aan de handhaafbaarheid van de voorgeschreven regels. De wettelijke basis hiervoor is gelegd in artikel 125 van de Gemeentewet, in samenhang met de afdelingen 5.3 en 5.4 van de Algemene wet bestuursrecht (Awb).

Vier factoren zijn van wezenlijk belang voor een goed handhavingsbeleid:

  • Voldoende kenbaarheid van het plan. Een goed handhavingsbeleid begint bij de kenbaarheid van het omgevingsplan bij degenen die het moeten naleven. Het omgevingsplan is immers aan een ieder kenbaar gemaakt zodat wordt aangenomen dat belanghebbenden in de planlocatie op de hoogte (kunnen) zijn van de regels.
  • Voldoende draagvlak voor beleid en regeling in het plan. De inhoud van het plan kan slechts gehandhaafd worden indien het beleid en de regeling in grote kring ondersteund wordt door de gebruikers van de planlocatie. Uiteraard kan niet iedereen zich vinden in elk onderdeel van het plan. Een algemene positieve benadering van het omgevingsplan is echter wel wenselijk.
  • Realistische en inzichtelijke regeling. Een juridische regeling dient realistisch en inzichtelijk te zijn; dat wil zeggen niet onnodig beperkend of inflexibel. Bovendien moeten de bepalingen goed controleerbaar zijn. De regels moeten derhalve niet meer regelen dan noodzakelijk is.
  • Actief handhavingsbeleid. Het sluitstuk van een goed handhavingsbeleid is voldoende controle van de feitelijke situatie in de planlocatie. Daarnaast moeten adequate maatregelen worden getroffen indien de regels worden overtreden. Indien dit wordt nagelaten, ontstaat een grote mate van rechtsonzekerheid.

Het bevoegd gezag is belast met de handhaving van de regels in dit TAM-omgevingsplan. In het algemeen geldt op grond van vaststaande jurisprudentie een beginselplicht tot handhaving. Dat neemt niet weg dat per geval moet worden onderzocht of handhaving (nog) mogelijk of proportioneel is. Een uitzondering is bijvoorbeeld concreet zicht op legalisatie van de overtreding. Bij handhaving van de regels wordt onder meer aandacht besteed aan de normen met betrekking tot brandveiligheid en constructieve veiligheid, monumentenstatus, toezicht op de naleving en uitvoering van omgevingsvergunningen en de handhaving op milieuovertredingen.

Hoofdstuk 8 UITVOERBAARHEID

8.1 Economische uitvoerbaarheid

8.1.1 Financieel economische haalbaarheid

De realisatie van het project geschiedt voor rekening van de initiatiefnemer. De gemeentelijke financiën zijn hierbij niet in het geding. De te ontwikkelen locatie is in eigendom van initiatiefnemer en is niet belast met beperkt zakelijke rechten van derden. Met de eigenaren van omliggende agrarische gronden zijn afspraken gemaakt ten aanzien van het opnemen van de 'overige zone - spuitvrije zone', waardoor de gebruiksmogelijkheden van bestreffende percelen wordt beperkt.

8.1.2 Kostenverhaal

Publiekrechtelijk kostenverhaal vindt in het concrete geval plaats door middel van een kostenverhaalsbeschikking (artikel 13.18 Ow).

Kostenverhaal geldt voor kostenverhaalplichtige activiteiten. Dat zijn:

• aangewezen bouwactiviteiten

• aangewezen activiteiten vanwege gebruikswijzigingen

Het Omgevingsbesluit bevat relevante regels over (verplicht) kostenverhaal (zie artikel 8.13 Omgevingsbesluit (Ob) voor aangewezen activiteiten waarvoor kostenverhaal verplicht is, artikel 8.14 Ob voor de mogelijkheden om af te zien van kostenverhaal en artikel 8.15 Ob voor de kostensoortenlijst).

Het bevoegd gezag zal met de initiatiefnemer een anterieure overeenkomst sluiten over verhaal van de plankosten. In deze overeenkomst zal een realisatietermijn van 3 jaar worden opgenomen.

8.1.3 Nadeelcompensatie

Als er een gewijzigd omgevingsplan wordt vastgesteld en als op grond daarvan schade wordt veroorzaakt, dan is titel 4.5 Awb van toepassing. Het bevoegd gezag maakt met initiatiefnemer afspraken tot verhaal van de kosten aan nadeelcompensatie welke rechtstreeks te herleiden zijn tot het gewijzigde omgevingsplan; deze afspraken maken onderdeel uit van de anterieure overeenkomst.

8.2 Maatschappelijke uitvoerbaarheid

8.2.1 Participatie

Artikel 7.4 van de Omgevingsregeling bevat aanvraagvereisten over participatie. Het aanvraagvereiste participatie geldt voor alle omgevingsvergunningen. Dus zowel voor:

• de van rijkswege aangewezen vergunningplichtige activiteiten; en voor

• de decentraal aangewezen vergunningplichtige activiteiten zoals opgenomen in een omgevingsplan (omgevingsplanactiviteitvergunningen).

Participatie bij de totstandkoming van een wijziging van het Omgevingsplan is niet langer vrijblijvend, doch verplicht onder de Omgevingswet. Artikel 10.2 Ob bepaalt dat bij de kennisgeving van het voornemen om een omgevingsplan vast te stellen, bedoeld in artikel 16.29 Ow, wordt aangegeven hoe burgers, bedrijven, maatschappelijke organisaties en bestuursorganen bij de voorbereiding worden betrokken. Bij het vaststellen van een omgevingsplan wordt aangegeven hoe burgers, bedrijven, maatschappelijke organisaties en bestuursorganen bij de voorbereiding betrokken zijn en wat de resultaten daarvan zijn. Indien de gemeente over een participatieverordening beschikt dient bij het vaststellen van een omgevingsplan te worden aangegeven in hoeverre aan de beleidsregels over het betrekken van burgers, bedrijven, maatschappelijke organisaties en bestuursorganen is voldaan.

Participatie in het kader van onderhavig initiatief is door de initiatiefnemer in april 2025 uitgevoerd. De eigenaren/bewoners van de Oude Heerweg huisnummers 21, 22, 24, 26, 28 en 30 en van Beeteweg huisnummers 2, 4, 5, 6 en 7 waren uitgenodigd. Van deze genodigden waren 7 adressen vertegenwoordigd bij de informatieavond en 2 adressen waren eerder individueel benaderd in verban met het feit dat hun gronden betrokken zouden worden bij het plangebied. De omwonenden zijn overwegend positief over de door hun verwachte ontwikkeling, al ziet men in de bouwfase wel enkele uitdagingen. Betreffende deze uitdagingen heeft initiatiefnemer toegezegd om één op één met betrokkenen hiervoor oplossingen te vinden.

Het verslag van deze participatie is ter hand gesteld aan het bevoegd gezag en als Bijlage 9 toegevoegd aan deze motivering.

8.2.2 Bestuurlijk vooroverleg

Gedeputeerde Staten van Limburg, het Waterschap Limburg en de Veiligheidsregio Limburg- Noord hebben het voorontwerp van het TAM-omgevingsplan hoofdstuk 22s Oude Heerweg 23 Blitterswijck met alle bijbehorende planstukken ontvangen, zodat er een toetsing van het plan aan provinciale belangen heeft kunnen plaatsvinden.

Bij schrijven van 5 augustus 2025 hebben Gedeputeerde Staten zich akkoord verklaard met deze planontwikkeling met dien verstande dat het advies vorotvloeiende uit het ecologisch onderzoek oipgevolgd dient te worden. Het plan leidt niet tot strijdigheid met provinciale belangen. De provinciale reactie is als Bijlage 10 bij deze motivering gevoegd.

Bij schrijven van 17 juli 2025 heeft de Veiligheidsregio Limburg-Noord zich akkoord verklaard met de planontwikkeling, met het advies om, indien er zaken als zonnepanelen, EOS of andere alternatieve en energiebronnen worden toegepast in de uitvoering van het project, dan in een zo vroeg mogelijk stadium in overleg te treden met de VRLN om nadere eisen/uitgangspunten te bespreken. De reactie is als Bijlage 11 bij deze motivering gevoegd.

Per e-mailbericht van 31 juli 2025 heeft het Waterschap Limburg te kennen gegeven akkoord te zijn met het plan. De reactie is als Bijlage 12 bij deze motivering gevoegd.

8.2.3 Vaststellingsprocedure

De gemeente geeft in het gemeenteblad via de Landelijke voorziening bekendmaken en beschikbaar stellen (LVBB) kennis van het voornemen om een omgevingsplan te wijzigen.

In de kennisgeving staat onder andere hoe de gemeenteraad burgers, bedrijven, maatschappelijke organisaties en bestuursorganen bij de voorbereiding gaat betrekken (participatie).

De wijziging van het omgevingsplan maakt direct ruimtelijke ontwikkelingen mogelijk uit bijlage V bij het Omgevingsbesluit. Uiterlijk op het moment van terinzagelegging van het milieueffectrapport stelt het bevoegd gezag de Commissie voor de milieueffectrapportage in de gelegenheid daarover te adviseren.

De gemeente geeft vóór de terinzagelegging kennis van het ontwerp-omgevingsplan in het gemeenteblad via de LVBB. Het milieueffectrapport maakt onderdeel van het ontwerp-omgevingsplan. Beide worden tegelijkertijd ter kennisgeving gepubliceerd.

Het ontwerp-omgevingsplan, het milieueffectrapport en de overige bijbehorende stukken liggen gedurende 6 weken ter inzage (artikel 3:11 Awb). Gedurende de termijn van inzage kan iedereen zienswijzen inbrengen.

De gemeenteraad stelt het omgevingsplan vast. Bij de vaststelling wordt aangegeven welke rol publieksparticipatie heeft gespeeld.

Het besluit wordt wederom bekendgemaakt door publicatie in het gemeenteblad via de LVBB. Tegelijk met de bekendmaking geeft de gemeente kennis van de terinzagelegging van het milieueffectrapport en de bijbehorende stukken. Er wordt hier ook vermeld door wie, binnen welke termijn en bij welk orgaan, bezwaar en beroep mogelijk zijn (artikelen 3:43 tot en met 3:45 Awb).

Een wijziging van een omgevingsplan treedt in werking op de dag waarop 4 weken zijn verstreken sinds de dag waarop de gemeente het besluit bekend heeft gemaakt. Er kan ook een later tijdstip van inwerkingtreding in het omgevingsplan worden opgenomen (artikel 16.78, eerste lid, Ow).